| Συνδεθείτε στην Υπηρεσία Νομοσκόπιο | | | | | Νέοι χρήστες | | Εάν είστε νέος χρήστης, θα πρέπει να δημιουργήσετε ένα ΔΩΡΕΑΝ λογαριασμό προκειμένου να φύγει το παράθυρο αυτό και να αποκτήσετε πλήρη πρόσβαση στην υπηρεσία Νομοσκόπιο. | | Δημιουργία νέου λογαριασμού | | |
Απόφαση 1011/2011: Επικύρωση καθορισμού οριογραμμών τμήματος διευθετημένου ρέματος ομβρίων υδάτων στη θέση Λιόφυτα εντός της τοπικής κοινότητας Λέικων του Δήμου Καλαμάτας του Νομού Μεσσηνίας, (ΦΕΚ 72/Δ/2011), 04-05-2011.
Ο Γενικός Γραμματέας Αποκεντρωμένης Διοίκησης Πελοποννήσου, Δυτικής Ελλάδος και Ιονίου
Έχοντας υπόψη τις ακόλουθες διατάξεις και λοιπά έγγραφα:
1. Τις διατάξεις των άρθρων 5, 6 και 8 του νόμου 3200/1955 Περί Διοικητικής Αποκέντρωσης.
2. Τις διατάξεις του νόμου 2853/1922 Περί υδραυλικών εν γένει έργων και αστυνομεύσεως των Δημοσίων Υδάτων, όπως αυτές τροποποιήθηκαν με ης αντίστοιχες του από 10-12-1923 νομοθετικού διατάγματος και κωδικοποιήθηκαν από τις διατάξεις του από 18-03-1924 προεδρικού διατάγματος (ΦΕΚ 61/Α/1924).
3. Τις διατάξεις της υπ' αριθμόν 3046/304/1989 απόφασης του Αναπληρωτή Υπουργού Περιβάλλοντος Χωροταξίας και Δημοσίων Έργων: Κτιριοδομικός Κανονισμός και ειδικότερα τις διατάξεις του άρθρου 6 αυτού σχετικά με τη δόμηση κοντά σε ρέματα, όπως ισχύει σήμερα.
4. Τις διατάξεις του νόμου 3010/2002 (ΦΕΚ 91/Α/2001): Εναρμόνιση του νόμου 1650/1986 με τις οδηγίες 1997/11/ΕΕ και 1996/61/ΕΕ και ειδικότερα τις διατάξεις του άρθρου 5 αυτού: Διαδικασία Οριοθέτησης και ρυθμίσεις θεμάτων για τα υδατορέματα.
5. Τις οικίες διατάξεις του νόμου 2508/1997 (ΦΕΚ 124/Α/1997): Βιώσιμη Οικιστική Ανάπτυξη των πόλεων και οικισμών της χώρας και άλλες διατάξεις.
6. Τις οικίες διατάξεις του νόμου 2690/1999 (ΦΕΚ 45/Α/1999): Κύρωση Κώδικα Διοικητικής Διαδικασίας και άλλες διατάξεις.
7. Τα οριζόμενα στην υπ' αριθμόν 19664/20-12-2001 απόφαση του Γενικού Γραμματέα Περιφέρειας Πελοποννήσου περί Αρμοδιότητος Κρατικού Οργάνου.
8. Τις διατάξεις του νόμου 3852/2010 Νέα Αρχιτεκτονική της Αυτοδιοίκησης και της Αποκεντρωμένης Διοίκησης - Πρόγραμμα Καλλικράτης (ΦΕΚ 87/Α/2010).
9. Τις διατάξεις του προεδρικού διατάγματος 139/2010 Οργανισμός της Αποκεντρωμένης Διοίκησης Πελοποννήσου, Δυτικής Ελλάδας και Ιονίου (ΦΕΚ 232/Α/2010).
10. Την υπ' αριθμόν ΓΓ 15649/1522/01-03-2011 Μεταβίβαση δικαιώματος υπογραφής Με εντολή Γενικού Γραμματέα στον προϊστάμενο της Γενικής Διεύθυνσης και στους προϊσταμένους των Υπηρεσιών της Γενικής Διεύθυνσης Χωροταξικής και Περιβαλλοντικής Πολιτικής της Αποκεντρωμένης Διοίκησης Πελοποννήσου, Δυτικής Ελλάδος και Ιονίου.
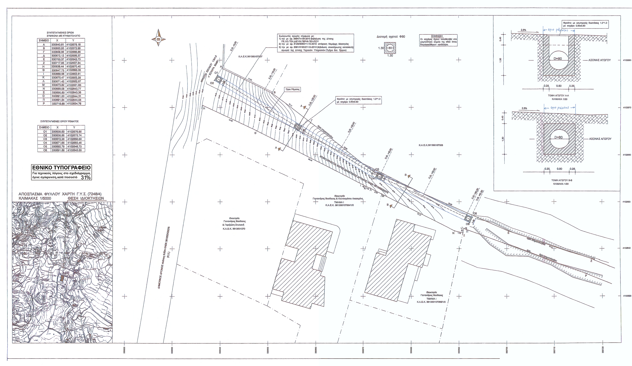
11. Την Τεχνική Έκθεση και το τοπογραφικό και υψομετρικό διάγραμμα κλίμακας 1:100, καθορισμού οριογραμμών τμήματος διευθετημένου ρέματος ομβρίων στην θέση Λιόφυτα σε εντός οικισμού περιοχή της τοπικής κοινότητας Λέικων του Δήμου Καλαμάτας του Νομού Μεσσηνίας, τα οποία συντάχθηκαν τον Ιανουάριο του 2011 από τον Διπλωματούχο Πολιτικό Μηχανικό Βουρνά Ιωάννη και ελέγχθηκαν και θεωρήθηκαν στις 28-03-2011 από την Διεύθυνση Τεχνικών Έργων Περιφερειακής Ενότητας Μεσσηνίας της Περιφέρειας Πελοποννήσου.
12. Το υπ' αριθμόν 389/24-01-2011 έγγραφο της Διεύθυνσης Τεχνικών Έργων Περιφερειακής Ενότητας Μεσσηνίας Περιφέρειας Πελοποννήσου, με το οποίο η Τεχνική Έκθεση διαβιβάστηκε στον Δήμο Καλαμάτας (Δημοτικό Συμβούλιο) για την σχετική γνωμοδότηση.
13. Το γεγονός ότι παρήλθε η προθεσμία του 1 μηνός χωρίς να διαβιβασθεί η γνωμοδότηση του Δημοτικού Συμβουλίου του Δήμου Καλαμάτας σύμφωνα με τις διατάξεις της παραγράφου 3)α του άρθρου 5 του νόμου 3010/2002 (ΦΕΚ 91/Α/2002).
14. Την με αριθμό 2807/29-03-2011 Γνωμοδότηση - Εισήγηση της Διεύθυνσης Τεχνικών Έργων της Περιφερειακής Ενότητας Μεσσηνίας της Περιφέρειας Πελοποννήσου, σχετικά με τον καθορισμό των οριογραμμών τμήματος κοίτης διευθετημένου ρέματος ομβρίων στην θέση Λιόφυτα σε εντός οικισμού περιοχή της τοπικής κοινότητας Λέικων του Δήμου Καλαμάτας του Νομού Μεσσηνίας, αποφασίζουμε:
Την επικύρωση των οριογραμμών τμήματος του διευθετημένου ρέματος ομβρίων στην θέση Λιόφυτα σε εντός οικισμού περιοχή της τοπικής κοινότητας Λέικων του Δήμου Καλαμάτας του Νομού Μεσσηνίας, οριζομένων με τα σημεία Ο1, Ο3, Ο5 και Ο2, Ο4, Ο6 (μπλε γραμμή) στο τοπογραφικό και υψομετρικό διάγραμμα κλίμακας 1:100 στο οποίο εμφαίνονται και τα όρια Α, Β, Γ, Δ, Ε, Ζ, Η, Θ,.....Ο, Π, Ρ του κοινόχρηστου χώρου και το οποίο συντάχθηκε από τον Διπλωματούχο Πολιτικό Μηχανικό Βουρνά Ιωάννη σύμφωνα με την Τεχνική Έκθεση που το συνόδευε, ελέγχθηκε και θεωρήθηκε στις 28-03-2011 από την Διεύθυνση Τεχνικών Έργων Περιφερειακής Ενότητας Μεσσηνίας της Περιφέρειας Πελοποννήσου και αποτελεί αναπόσπαστο μέρος της παρούσας απόφασης.

Η απόφαση αυτή μαζί με το συνημμένο τοπογραφικό και υψομετρικό διάγραμμα καθορισμού των οριογραμμών να δημοσιευθούν στην Εφημερίδα της Κυβερνήσεως.
Τρίπολη, 05-04-2011
Με εντολή Γενικού Γραμματέα Αποκεντρωμένης Διοίκησης
Ο Γενικός Διευθυντής