Απόφαση 10303/15

Απόφαση 10303/ΠΕ/2015: Έγκριση τροποποίησης της με αριθμό πρωτοκόλλου 2073/2003 (ΦΕΚ 552/Δ/2003) απόφασης Γενικού Γραμματέα Περιφέρειας Κεντρικής Μακεδονίας Έγκριση Τοπικού Ρυμοτομικού Σχεδίου, στην εκτός σχεδίου περιοχή Δημοτικού Διαμερίσματος Ταγαράδων του Δήμου Θέρμης νομού Θεσσαλονίκης, για τον καθορισμό χώρου Αθλητικών Εγκαταστάσεων και καθορισμό όρων και περιορισμών δόμησης αυτού, όπως προβλέπεται και από το εγκεκριμένο Γενικό Πολεοδομικό Σχέδιο του Δήμου Θέρμης με την υπ' αριθμόν πρωτοκόλλου 66266/2013 (ΦΕΚ 451/ΑΑΠ/2013) απόφαση Υπουργού Περιβάλλοντος, Ενέργειας και Κλιματικής Αλλαγής


Συνδεθείτε στην Υπηρεσία Νομοσκόπιο
Είσοδος στην υπηρεσία Νομοσκόπιο.
   
Χρήστης
Κωδικός
  Υπενθύμιση στοιχείων λογαριασμού
   
 
Νέοι χρήστες
Εάν είστε νέος χρήστης, θα πρέπει να δημιουργήσετε ένα ΔΩΡΕΑΝ λογαριασμό προκειμένου να φύγει το παράθυρο αυτό και να αποκτήσετε πλήρη πρόσβαση στην υπηρεσία Νομοσκόπιο.
Δημιουργία νέου λογαριασμού

 

 

Απόφαση 10303/ΠΕ/2015: Έγκριση τροποποίησης της με αριθμό πρωτοκόλλου 2073/2003 (ΦΕΚ 552/Δ/2003) απόφασης Γενικού Γραμματέα Περιφέρειας Κεντρικής Μακεδονίας Έγκριση Τοπικού Ρυμοτομικού Σχεδίου, στην εκτός σχεδίου περιοχή Δημοτικού Διαμερίσματος Ταγαράδων του Δήμου Θέρμης νομού Θεσσαλονίκης, για τον καθορισμό χώρου Αθλητικών Εγκαταστάσεων και καθορισμό όρων και περιορισμών δόμησης αυτού, όπως προβλέπεται και από το εγκεκριμένο Γενικό Πολεοδομικό Σχέδιο του Δήμου Θέρμης με την υπ' αριθμόν πρωτοκόλλου 66266/2013 (ΦΕΚ 451/ΑΑΠ/2013) απόφαση Υπουργού Περιβάλλοντος, Ενέργειας και Κλιματικής Αλλαγής, (ΦΕΚ 80/ΑΑΠ/2015), 06-05-2015.

 

Ο Γενικός Γραμματέας Αποκεντρωμένης Διοίκησης Μακεδονίας - Θράκης

 

Έχοντας υπόψη:

 

1. Τις διατάξεις του άρθρου 280 του νόμου 3852/2010 (ΦΕΚ 87/Α/2010) Νέα Αρχιτεκτονική της Αυτοδιοίκησης και της Αποκεντρωμένης Διοίκησης - Πρόγραμμα Καλλικράτης.

 

2. Τις διατάξεις του άρθρου 9 του προεδρικού διατάγματος 142/2010 (ΦΕΚ 235/Α/2010) Οργανισμός της Αποκεντρωμένης Διοίκησης Μακεδονίας - Θράκης.

 

3. Τις διατάξεις του νόμου 2503/1997 Διοίκηση, Οργάνωση της Περιφέρειας, ρύθμιση θεμάτων για την Τοπική Αυτοδιοίκηση και άλλες διατάξεις (ΦΕΚ 107/Α/1997).

 

4. Τις διατάξεις του νόμου 1650/1986 (ΦΕΚ 160/Α/1986) Για την προστασία του περιβάλλοντος και ειδικότερα της παραγράφου 6 του άρθρου 4, όπως προστέθηκε με την παράγραφο 2 του άρθρου 6 του νόμου 2242/1994 (ΦΕΚ 162/Α/1994).

 

5. Τις διατάξεις του άρθρου 114 του από 14-07-1999 προεδρικού διατάγματος Κώδικας βασικής πολεοδομικής νομοθεσίας (ΦΕΚ 580/Δ/1999).

 

6. Τις μεταβατικές διατάξεις του άρθρου 13Α παράγραφος 3 του νόμου 4269/2014 (ΦΕΚ 142/Α/2014) Χωροταξική και πολεοδομική μεταρρύθμιση - Βιώσιμη ανάπτυξη.

 

7. Τις διατάξεις της με αριθμό 53844/2013 (ΦΕΚ 2017/Β/2013) απόφασης Γενικού Γραμματέα Αποκεντρωμένης Διοίκησης Μακεδονίας Θράκης Ανάθεση άσκησης αρμοδιοτήτων σε οργανικές μονάδες της Αποκεντρωμένης Διοίκησης Μακεδονίας - Θράκης και παροχή εξουσιοδότησης υπογραφής πράξεων και εγγράφων Με εντολή Γενικού Γραμματέα στους προϊσταμένους των οργανικών μονάδων της Αποκεντρωμένης Διοίκησης Μακεδονίας - Θράκης.

 

8. Τις διατάξεις του άρθρου 90 του προεδρικού διατάγματος 63/2005 (ΦΕΚ 98/Α/2005) Κωδικοποίηση της νομοθεσίας για την Κυβέρνηση και τα κυβερνητικά όργανα.

 

9. Την υπ' αριθμόν 4/2015 πράξη του Υπουργικού Συμβουλίου της 06-02-2015 Αποδοχή παραιτήσεων των Γενικών Γραμματέων των Αποκεντρωμένων Διοικήσεων της Χώρας (ΦΕΚ 24/Α/2015).

 

10. Τις διατάξεις του άρθρου 56 του νόμου 4257/2014 Επείγουσες ρυθμίσεις αρμοδιότητας Υπουργείου Εσωτερικών (ΦΕΚ 93/Α/2014).

 

11. Τη με αριθμό 280/2014 απόφαση του Δημοτικού Συμβουλίου Θέρμης.

 

12. Τη με αριθμό πρωτοκόλλου 66266/2013 (ΦΕΚ 451/ΑΑΠ/2013) απόφαση Υπουργού Περιβάλλοντος, Ενέργειας και Κλιματικής Αλλαγής Έγκριση Γενικού Πολεοδομικού Σχεδίου (ΓΠΣ) της Δημοτικής Ενότητας Θέρμης του Δήμου Θέρμης (νομού Θεσσαλονίκης).

 

13. Τη με αριθμό πρωτοκόλλου 2073/2003 (ΦΕΚ 552/Δ/2003) απόφαση Γενικού Γραμματέα Περιφέρειας Κεντρικής Μακεδονίας Έγκριση τοπικού ρυμοτομικού σχεδίου στην εκτός σχεδίου περιοχή Δημοτικού Διαμερίσματος Ταγαράδων του Δήμου Θέρμης Νομού Θεσσαλονίκης, για τον καθορισμό χώρου Αθλητικών Εγκαταστάσεων και καθορισμό όρων και περιορισμών δόμησης αυτού.

 

14. Το με αριθμό πρωτοκόλλου 298032/704/76/2/2014 έγγραφο της Γενικής Γραμματείας Αθλητισμού.

 

15. Την 36η Συνεδρία / 13η Πράξη/ 18-03-2015 θετική γνωμοδότηση του Συμβουλίου Πολεοδομικών Θεμάτων και Αμφισβητήσεων Περιφερειακής Ενότητας Θεσσαλονίκης, σύμφωνα με την από 06-02-2015 εισήγηση του ΤΠΣΕ της Διεύθυνσης Περιβάλλοντος και Χωροταξικού Σχεδιασμού Κεντρικής Μακεδονίας Αποκεντρωμένης Διοίκησης Μακεδονίας - Θράκης και την υπ' αριθμόν 280/2014 Απόφαση του Δημοτικού Συμβουλίου Θέρμης.

 

16. Το γεγονός ότι από τις κανονιστικές διατάξεις αυτής της απόφασης δεν προκαλείται δαπάνη σε βάρος του κρατικού προϋπολογισμού και του οικείου οργανισμού τοπικής αυτοδιοίκησης, αποφασίζουμε:

 

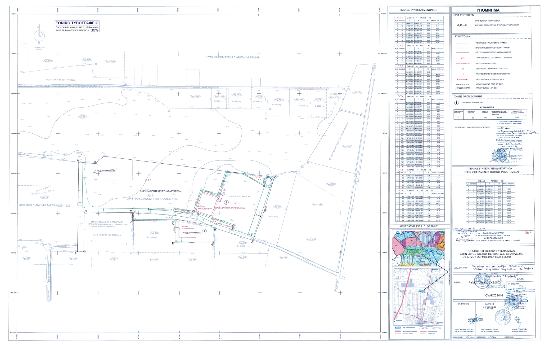
Εγκρίνεται η τροποποίηση της υπ' αριθμόν πρωτοκόλλου 2073/2003 (ΦΕΚ 552/Δ/2003) απόφασης Γενικού Γραμματέα Περιφέρειας Κεντρικής Μακεδονίας Έγκριση τοπικού ρυμοτομικού σχεδίου στην εκτός σχεδίου περιοχή Δημοτικού Διαμερίσματος Ταγαράδων του Δήμου Θέρμης Νομού Θεσσαλονίκης, για τον καθορισμό χώρου Αθλητικών Εγκαταστάσεων και καθορισμό όρων και περιορισμών δόμησης αυτού ως εξής:

 

1. Καταργείται εντός του καθορισμένου χώρου Αθλητικών Εγκαταστάσεων η προβλεπόμενη θέση του κολυμβητηρίου και των δύο χώρων Στάθμευσης.

 

2. Δημιουργούνται 6 οικοδομικά τετράγωνα:

 

Οικοδομικό τετράγωνο 1: Χώρος Ανοικτού Κολυμβητηρίου.
Οικοδομικό τετράγωνο 2: Χώρος Στάθμευσης.
Οικοδομικό τετράγωνο 3: Χώρος Κλειστού Κολυμβητηρίου και Αθλητικών Εγκαταστάσεων.
Οικοδομικό τετράγωνο 4: κοινόχρηστος χώρος.
Οικοδομικό τετράγωνο 5: Χώρος Στάθμευσης.
Οικοδομικό τετράγωνο 6: Χώρος Αθλητικών Εγκαταστάσεων.

 

Δημιουργείται δίκτυο οδών και πεζοδρόμων, όπως οι ρυθμίσεις αυτές φαίνονται στο πρωτότυπο χρωματισμένο διάγραμμα κλίμακας 1:1000, θεωρημένο από τον αναπληρωτή Προϊστάμενο της Διεύθυνσης Περιβάλλοντος και Χωροταξικού Σχεδιασμού Κεντρικής Μακεδονίας Αποκεντρωμένης Διοίκησης Μακεδονίας - Θράκης, που συνοδεύει την απόφαση.

 

3. Καθορίζονται οι παρακάτω όροι και περιορισμοί δόμησης για τα οικοδομικά τετράγωνα 1 και 3:

 

Ποσοστό κάλυψης: 20%
Συντελεστής δόμησης: 0.2
Μέγιστο ύψος κολυμβητηρίου: 12 m συμπεριλαμβανομένης και της στέγης.
Μέγιστο ύψος πυλώνων φωτισμού: 15 m.
Επιβάλλεται προκήπιο πλάτους 3 m βόρεια, νότια και δυτικά του χώρου κλειστού κολυμβητήριου στο οικοδομικό τετράγωνο 3 Καθορίζεται με κόκκινη γραμμή το περίγραμμα του ανοικτού κολυμβητηρίου στο οικοδομικό τετράγωνο 1.

 

a.10303.15

 

Η ισχύς της απόφασης αρχίζει από τη δημοσίευσή της στην Εφημερίδα της Κυβερνήσεως.

 

Η απόφαση αυτή και το διάγραμμα που τη συνοδεύει να δημοσιευθούν στην Εφημερίδα της Κυβερνήσεως.

 

Θεσσαλονίκη, 26-03-2015

 

Ο Ασκών καθήκοντα Γενικού Αποκεντρωμένης Διοίκησης

 



Copyright © 2017 TechnoLogismiki. Με την επιφύλαξη παντός δικαιώματος.