Απόφαση 212016/17

Απόφαση 212016/3905/2017: Έγκριση τροποποίησης ρυμοτομικού Σχεδίου Πόλεως Πατρών, δια αναδιατάξεως της ρυμοτομίας στα οικοδομικά τετράγωνα 1872Α και 1873 στην περιοχή Μπεγουλάκι ή Κουκούλι του Δήμου Πατρέων


Συνδεθείτε στην Υπηρεσία Νομοσκόπιο
Είσοδος στην υπηρεσία Νομοσκόπιο.
   
Χρήστης
Κωδικός
  Υπενθύμιση στοιχείων λογαριασμού
   
 
Νέοι χρήστες
Εάν είστε νέος χρήστης, θα πρέπει να δημιουργήσετε ένα ΔΩΡΕΑΝ λογαριασμό προκειμένου να φύγει το παράθυρο αυτό και να αποκτήσετε πλήρη πρόσβαση στην υπηρεσία Νομοσκόπιο.
Δημιουργία νέου λογαριασμού

 

 

Απόφαση 212016/3905/2017: Έγκριση τροποποίησης ρυμοτομικού Σχεδίου Πόλεως Πατρών, δια αναδιατάξεως της ρυμοτομίας στα οικοδομικά τετράγωνα 1872Α και 1873 στην περιοχή Μπεγουλάκι ή Κουκούλι του Δήμου Πατρέων, (ΦΕΚ 220/ΑΑΠ/2017), 27-09-2017.

 

Ο Αντιπεριφερειάρχης Ενέργειας και Περιβάλλοντος Δυτικής Ελλάδας

 

Έχοντας υπόψη:

 

1. Τις διατάξεις των άρθρων 186 και 283 του νόμου 3852/2010 (ΦΕΚ 87/Α/2010) Νέα Αρχιτεκτονική της Αυτοδιοίκησης και της Αποκεντρωμένης Διοίκησης - Πρόγραμμα Καλλικράτης.

 

2. Το προεδρικό διάταγμα 132/2010 (ΦΕΚ 225/Α/2010) και ειδικότερα την παράγραφο 3)α, του άρθρου 5 (Διάρθρωση - Αρμοδιότητες Διεύθυνσης Περιβάλλοντος και Χωρικού Σχεδιασμού), όπως τροποποιήθηκε και ισχύει με την υπ' αριθμόν 248595/2016 (ΦΕΚ 4309/Β/2016) απόφαση του Γενικού Γραμματέα Αποκεντρωμένης Διοίκησης Πελοποννήσου, Δυτικής Ελλάδας και Ιονίου, περί Τροποποίησης του Οργανισμού Εσωτερικής Υπηρεσίας της Περιφέρειας Δυτικής Ελλάδας.

 

3. Την υπ' αριθμόν 55961/643/2017 απόφαση Περιφερειάρχη Δυτικής Ελλάδας (ΦΕΚ 111/ΥΟΔΔ/2017), περί Ορισμός Αντιπεριφερειαρχών της Περιφέρειας Δυτικής Ελλάδας.

 

4. Την υπ' αριθμόν οίκοθεν 69923/876/2017 απόφαση του Περιφερειάρχη Δυτικής Ελλάδος (ΦΕΚ 1018/Β/2017), περί Μεταβίβασης αρμοδιοτήτων στους Αντιπεριφερειάρχες που ορίστηκαν από τον Περιφερειάρχη της Περιφέρειας Δυτικής Ελλάδας και σε περιφερειακούς συμβούλους Δυτικής Ελλάδας.

 

5. Το από 17-07-1923 νομοθετικό διάταγμα (ΦΕΚ 228/Α/1923) Περί σχεδίων πόλεων, κωμών και συνοικισμών του Κράτους και οικοδομής αυτών.

 

6. Τις διατάξεις του κεφαλαίου II του από 03-04-1929 προεδρικού διατάγματος, που διατηρήθηκαν σε ισχύ με το άρθρο 31, παράγραφος 3 του νόμου 1577/1985 Γενικός Οικοδομικός Κανονισμός.

 

7. Το νόμο 1337/1983 (ΦΕΚ 33/Α/1983), όπως τροποποιήθηκε και ισχύει.

 

8. Τον Κώδικα βασικής πολεοδομικής νομοθεσίας (ΦΕΚ 580/Δ/1999) και ειδικότερα τα άρθρα 152 και 154.

 

9. Τις διατάξεις του άρθρου 29 του νόμου 2831/2000 (ΦΕΚ 140/Α/2000), όπως αντικαταστάθηκαν με το άρθρο 10 του νόμου 3044/2002 (ΦΕΚ 197/Α/2002).

 

10. Το νόμο 4030/2011 (ΦΕΚ 249/Α/2011), άρθρα 30 έως 32, όπως τροποποιήθηκε και ισχύει.

 

11. Το νόμο 4067/2012 Νέος Οικοδομικός Κανονισμός (ΦΕΚ 79/Α/2012) και ειδικότερα τα άρθρα 31 και 32 αυτού, όπως τροποποιήθηκε και ισχύει.

 

12. Το νόμο 4315/2014 (ΦΕΚ 269/Α/2014) Πράξεις εισφοράς σε γη και χρήμα - Ρυμοτομικές απαλλοτριώσεις και άλλες διατάξεις.

 

13. Τις με αριθμό 1/1961, 8/1975, 43/1980 και 55/1988 Εγκυκλίους σχετικές με θέματα τροποποιήσεως ρυμοτομικών σχεδίων.

 

14. Τη με αριθμό 10/2012 εγκύκλιο του Υπουργείου Περιβάλλοντος, Ενέργειας και Κλιματικής Αλλαγής.

 

15. Το από [ΠΔ] 12-07-1975 προεδρικό διάταγμα (ΦΕΚ 231/Δ/1975) Περί τροποποιήσεως και επεκτάσεως του ρυμοτομικού σχεδίου Πατρών και καθορισμού του όρων και περιορισμών δομήσεως των οικοπέδων αυτού όπως τροποποιήθηκε και ισχύει σήμερα.

 

16. Το Γενικό Πολεοδομικό Σχέδιο της Δημοτικής Ενότητας Πατρέων Δήμου Πατρέων Νομού Αχαΐας (ΦΕΚ 358/ΑΑΠ/2011).

 

17. Την με αριθμό πρωτοκόλλου Δήμου Πατρέων 6275/17-01-2012 αίτηση των Σωτηρίου Νακοπούλου του Δημητρίου, Αναστασίας Σαρπάκη του Παναγιώτου και των Ευτύχιου - Άδωνη και Παρασκευής-Μάγιας-Φαίδρας Κοτσιφάκη Σαρπάκη του Νικολάου.

 

18. Την με αριθμό 470/09-07-2012 απόφαση του Δημοτικού Συμβουλίου του Δήμου Πατρέων, με την οποία, αφού έλαβε υπόψη την εισήγηση της Διεύθυνσης Πολεοδομικού - Κυκλοφοριακού Σχεδιασμού και Δόμησης και την υπ' αριθμόν 144/13-06-2012 πρόταση της Επιτροπής Ποιότητας Ζωής, αποφάσισε κατά πλειοψηφία και σύμφωνα με τις διατάξεις του άρθρου 73 του νόμου 3852/2010 (ΦΕΚ 87/Α/2010) την έγκριση της αιτούμενης τροποποίησης και την τήρηση της περαιτέρω νομίμου διαδικασίας ανάρτησης, τυχόν υποβολής ενστάσεων κ.λ.π.

 

19. Την από 24-12-2012 βεβαίωση περί μη υποβολής ενστάσεων κατά της υπ' αριθμόν 470/09-07-2012 απόφασης του Δημοτικού Συμβουλίου Πατρέων της Διευθύντριας Πολεοδομικού Σχεδιασμού και Εφαρμογών του Δήμου Πατρέων.

 

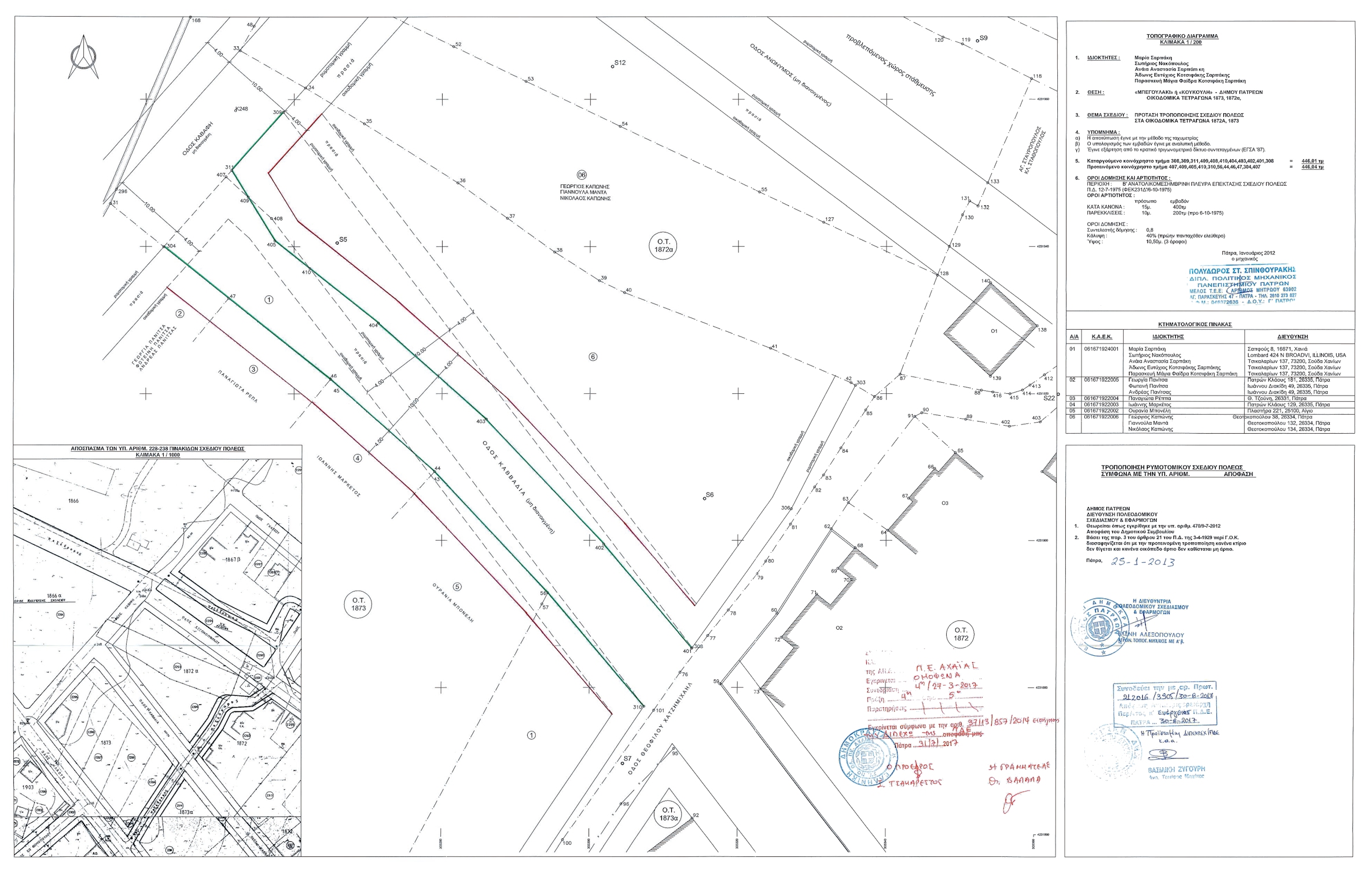
20. Το με αριθμό πρωτοκόλλου 15000/Π245/13/25-01-2013 έγγραφο του Δήμου Πατρέων, με το οποίο διαβιβάστηκε στην Υπηρεσία ο φάκελος της πρότασης τροποποίησης του Σχεδίου Πόλεως Πατρών δια αναδιατάξεως της ρυμοτομίας στο τμήμα της οδού Καββαδία μεταξύ των οικοδομικών τετραγώνων 1872Α και 1873 στην περιοχή Μπεγουλάκι ή Κουκούλι.

 

21. Την με αριθμό πρωτοκόλλου 37113/857/23-12-2014 εισήγηση της Υπηρεσίας προς το Συμβούλιο Πολεοδομικών Θεμάτων και Αμφισβητήσεων. Αχαΐας σχετικά με την έγκριση της αιτούμενης τροποποίησης Σχεδίου Πόλεως Πατρών δια αναδιατάξεως της ρυμοτομίας στο τμήμα της οδού Καββαδία μεταξύ των οικοδομικών τετραγώνων 1872Α και 1873 στην περιοχή Μπεγουλάκι ή Κουκούλι.

 

22. Το με αριθμό πρωτοκόλλου 422/Π10/2015/19-01-2015 έγγραφο του Δήμου Πατρέων, με το οποίο διαβιβάστηκαν προς το Συμβούλιο Πολεοδομικών Θεμάτων και Αμφισβητήσεων. Π.Ε. Αχαΐας συμπληρωματικά στοιχεία σχετικά με τους όρους δόμησης και τις χρήσεις γης που ισχύουν στην περιοχή της αιτούμενης τροποποίησης.

 

23. Το με αριθμό πρωτοκόλλου 7/646/ΤΤ/20-06-2017 έγγραφο του Συμβουλίου Πολεοδομικών Θεμάτων και Αμφισβητήσεων Αχαΐας με το οποίο διαβιβάστηκε το Απόσπασμα Πρακτικού της από 27-03-2017 Συνεδρίασης (No 4) του Συμβουλίου Πολεοδομικών Θεμάτων και Αμφισβητήσεων Περιφερειακής Ενότητας Αχαΐας, με το οποίο γνωμοδότησε ομόφωνα θετικά, υπέρ της τροποποίησης του ρυμοτομικού σχεδίου πόλεως Πατρών δια αναδιατάξεως της ρυμοτομίας στο τμήμα της οδού Καββαδία μεταξύ των οικοδομικών τετραγώνων 1872Α και 1873 στην περιοχή Μπεγουλάκι ή Κουκούλι Πατρών.

 

24. Το με αριθμό πρωτοκόλλου 164981//ΤΤ/31-07-2017 έγγραφο του Συμβουλίου Πολεοδομικών Θεμάτων και Αμφισβητήσεων Περιφερειακής Ενότητας Αχαΐας, με το οποίο διαβιβάστηκε θεωρημένο το διάγραμμα τροποποίησης του Σχεδίου Πόλεως, όπως αποφασίστηκε στη 4η συνεδρίαση του στις 27-03-2017.

 

25. Το γεγονός ότι με την προτεινόμενη τροποποίηση του ρυμοτομικού σχεδίου, δεν προκαλείται δαπάνη σε βάρος του κρατικού προϋπολογισμού και του προϋπολογισμού του Δήμου Πατρέων, αποφασίζουμε:

 

Την έγκριση της τροποποίησης του Σχεδίου Πόλεως Πατρών, δια αναδιατάξεως της ρυμοτομίας στο τμήμα της οδού Καββαδία μεταξύ των οικοδομικών τετραγώνων 1872Α και 1873 στην περιοχή Μπεγουλάκι ή Κουκούλι, όπως απεικονίζεται στο από Ιανουάριο 2012 τοπογραφικό διάγραμμα του ιδιώτη Διπλωματούχου Πολιτικού Μηχανικού Πολύδωρου Σπινθουράκη, το οποίο θεωρήθηκε τον Ιανουάριο του 2013 από τη Διεύθυνση Πολεοδομικού Σχεδιασμού και Εφαρμογών του Δήμου Πατρέων και εγκρίθηκε από το Συμβούλιο Πολεοδομικών Θεμάτων και Αμφισβητήσεων Περιφερειακής Ενότητας Αχαΐας στις 31-07-2017.

 

Η ισχύς της απόφασης αυτής αρχίζει από την ημερομηνία δημοσίευσής της στην Εφημερίδα της Κυβερνήσεως.

 

Κατά της απόφασης αυτής επιτρέπεται η υποβολή προσφυγής ενώπιον του Συντονιστή της οικείας Αποκεντρωμένης Διοίκησης Πελοποννήσου, Δυτικής Ελλάδας και Ιονίου, μόνο για παράβαση νόμου μέσα σε προθεσμία 15 ημερών από τη δημοσίευσή της στην Εφημερίδα της Κυβερνήσεως (άρθρο 227.1Α του νόμου 3852/2010 (ΦΕΚ 87/Α/2010)).

 

a.212016.17

 

Η απόφαση αυτή με το συνοδευτικό της διάγραμμα να δημοσιευθεί στην Εφημερίδα της Κυβερνήσεως.

 

Πάτρα, 30-08-2017

 

Ο Αντιπεριφερειάρχης

 



Copyright © 2020 TechnoLogismiki. Με την επιφύλαξη παντός δικαιώματος.