| Συνδεθείτε στην Υπηρεσία Νομοσκόπιο | | | | | Νέοι χρήστες | | Εάν είστε νέος χρήστης, θα πρέπει να δημιουργήσετε ένα ΔΩΡΕΑΝ λογαριασμό προκειμένου να φύγει το παράθυρο αυτό και να αποκτήσετε πλήρη πρόσβαση στην υπηρεσία Νομοσκόπιο. | | Δημιουργία νέου λογαριασμού | | |
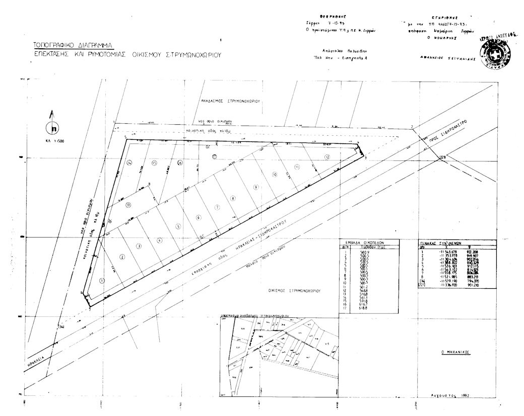
1. Εγκρίνεται η επέκταση του οικισμού Στρυμονοχωρίου νομού Σερρών και η έγκριση ρυμοτομικού σχεδίου στο τμήμα αυτής, όπως φαίνεται στο τοπογραφικό διάγραμμα υπό κλίμακα 1:500, που συνοδεύει την απόφαση αυτή, με την προϋπόθεση η εξυπηρέτηση των οικοπέδων με αριθμούς 1, 2, 3 έως και 12 να γίνεται από δρόμο πλάτους τουλάχιστον 4 m ο οποίος θα κατασκευασθεί σ' επαφή μ' αυτά και παράλληλα τον επαρχιακό δρόμο.
2. Επιβάλλεται προκήπιο, πλάτους 3 m και 4 m στα οικόπεδα της επέκτασης και όπως αυτό φαίνεται στο τοπογραφικό διάγραμμα που συνοδεύει την απόφαση αυτή.
3. Εγκρίνονται οι παρακάτω γενικοί όροι δόμησης:
α. αρτιότητα
Ορίζεται ελάχιστο εμβαδόν αρτιότητας 500 m2 με ελάχιστο πρόσωπο 14 m.
β. ποσοστό κάλυψης
Ορίζεται μέγιστο επιτρεπόμενο ποσοστό κάλυψης: 70%
γ. οι υπόλοιποι όροι δόμησης ορίζονται όπως καθορίσθηκαν με την ΤΠ/ΕΠΑ/11507/1987 απόφαση του Νομάρχη Σερρών, όπως τροποποιήθηκε με την ΤΠ/ΕΠΑ/10004/1992 όμοια, για το τμήμα του οικισμού με εγκεκριμένο ρυμοτομικό σχέδιο.
ΣΗΜΕΙΩΣΗ: Η παράγραφος 3 τίθεται όπως τροποποιήθηκε με την υπ' αριθμόν 990/1998 απόφαση (ΦΕΚ 254/Δ/1998).
|
4. Οι ειδικοί όροι δόμησης ορίζονται όπως καθορίσθηκαν με την ΤΠ/ΕΠΑ/11507/1987 απόφαση Νομάρχη Σερρών.
5. Κατά τα λοιπά ισχύουν η ΤΠ/ΕΠΑ/11507/1987 απόφαση Νομάρχη Σερρών, όπως τροποποιήθηκε με την ΤΠ/ΕΠΑ/10004/1992 όμοια, το από 24-04-1985 προεδρικό διάταγμα, όπως τροποποιήθηκε με το από 14-02-1987 προεδρικό διάταγμα και το από 25-04-1989 προεδρικό διάταγμα και ο νόμος 1577/1985.
