| Συνδεθείτε στην Υπηρεσία Νομοσκόπιο | | | | | Νέοι χρήστες | | Εάν είστε νέος χρήστης, θα πρέπει να δημιουργήσετε ένα ΔΩΡΕΑΝ λογαριασμό προκειμένου να φύγει το παράθυρο αυτό και να αποκτήσετε πλήρη πρόσβαση στην υπηρεσία Νομοσκόπιο. | | Δημιουργία νέου λογαριασμού | | |
Απόφαση 66295/2017: Έγκριση των υπ' αριθμόν 289/2015 και 83/2016 Πράξεων της Λιμενικής Επιτροπής Λέσβου με θέμα Επέκταση της χερσαίας ζώνης του λιμένα Καβάκι Πέτρας, (ΦΕΚ 249/ΑΑΠ/2017), 31-10-2017.
Ο Συντονιστής Αποκεντρωμένης Διοίκησης Αιγαίου Έχοντας υπόψη:
1. Τις διατάξεις των άρθρων 6 και 280 του νόμου 3852/2010 (ΦΕΚ 87/Α/2010) Νέα Αρχιτεκτονική της Αυτοδιοίκησης και της Αποκεντρωμένης Διοίκησης - Πρόγραμμα Καλλικράτης, όπως ισχύει.
| • | Των άρθρων 28 και 28Α του νόμου 4325/2015 Εκδημοκρατισμός της Διοίκησης - Καταπολέμηση της Γραφειοκρατίας και Ηλεκτρονική Διακυβέρνηση. Αποκατάσταση αδικιών και άλλες διατάξεις (ΦΕΚ 47/Α/2015), |
2. Την υπ' αριθμόν 14192/2017 (ΦΕΚ 250/ΥΟΔΔ/2017) απόφαση του Υπουργού Εσωτερικών περί διορισμού του Νικόλαου Θεοδωρίδη ως Συντονιστή της Αποκεντρωμένης Διοίκησης Αιγαίου.
3. Τις διατάξεις του νόμου 2971/2001 (ΦΕΚ 285/Α/2001) Αιγιαλός, παραλία και άλλες διατάξεις, και ειδικότερα το άρθρο 21 αυτού, όπως συμπληρώθηκε με το άρθρο 49 του νόμου 4150/2013 (ΦΕΚ 102/Α/2013).
4. Τις διατάξεις των άρθρων 14 και 15 του από [ΒΔ] 14-01-1939 βασιλικού διατάγματος Περί κώδικα των περί Λιμενικών Ταμείων κειμένων διατάξεων.
5. Τις διατάξεις του άρθρου 46 παράγραφος 21 του νόμου 3220/2004 (ΦΕΚ 15/Α/2004), δυνάμει των οποίων οι αρμοδιότητες του Υπουργού Οικονομίας και Οικονομικών, οι οποίες ανήκαν ή είχαν μεταβιβαστεί στους Νομάρχες μέχρι την έναρξη λειτουργίας των Νομαρχιακών Αυτοδιοικήσεων και αφορούν θέματα των Υπηρεσιών του Υπουργείου Οικονομίας και Οικονομικών, που εξαιρέθηκαν από την κατάργηση με τις διατάξεις της παραγράφου 2 του άρθρου 39 του νόμου 2218/1994, περιέρχονται στον Γενικό Γραμματέα της Περιφέρειας, εκτός των θεμάτων των ΥΔΕ.
6. Τα υπ' αριθμούς 580/25-02-2016, 906/28-03-2016, 1481/10-05-2016 και 1648/13-05-2016 έγγραφα του Λιμενικού Ταμείου Λέσβου με τα οποία υποβλήθηκαν στους αρμόδιους φορείς οι υπ' αριθμούς 289/2015 και 83/2016 (συμπλήρωση της πρώτης) πράξεις της Λιμενικής Επιτροπής Λέσβου που αφορά στην επέκταση χερσαίας ζώνης λιμένα στο Καβάκι Πέτρας, με τα σχετικά τοπογραφικά διαγράμματα.
7. Τα υπ' αριθμούς 3387/68569/19-07-2016, 1840/41034/24-06-2016 και 1200/25306/07-03-2016 έγγραφα της Διεύθυνσης Αλιευτικών Πόρων και Αλιευτικής Πολιτικής του Υπουργείου Αγροτικής Ανάπτυξης και Τροφίμων.
8. Το υπ' αριθμόν ΔΛΥ/921/Φ.32/Μ/21-06-2016 έγγραφο της Διεύθυνσης Λιμενικών Υποδομών του Υπουργείου Υποδομών, Μεταφορών και Δικτύων.
9. Τα υπ' αριθμόν ΥΠΠΟΑ/ΓΔΑΠΚ/ΔΙΠΚΑ/ΤΠΚΑΧΜΑΕ/Φ53/58895/33003/2853/706/07-03-2016, ΥΠΠΟΑ/ΓΔΑΠΚ/ΔΙΠΚΑ/ΤΠΚΑΧΜΑΕ/Φ53/109591/66638/4671/1233/06-04-2016 και ΥΠΠΟΑ/ΓΔΑΠΚ/ΔΙΠΚΑ/ΤΠΚΑΧΜΑΕ/Φ53/191154/114878/7797/2236/17-06-2016 έγγραφα του Υπουργείου Πολιτισμού, με τα οποία διαβιβάζεται στις αρμόδιες Εφορείες (Εναλίων Αρχαιοτήτων, Εφορεία Αρχαιοτήτων και Υπηρεσία Νεωτέρων Μνημείων) η μελέτη του έργου.
10. Το υπ' αριθμόν 1500/18-03-2016 έγγραφο της Εφορείας Αρχαιοτήτων Λέσβου προς το Υπουργείο Πολιτισμού, στο οποίο αναφέρεται ότι σύμφωνα με έγγραφα του έτους 2014 οι υπηρεσίες Κ' ΕΠΚΑ και 14η ΕΒΑ είχαν διατυπώσει τη θετική τους άποψη για την επέκταση της χερσαίας ζώνης στο Καβάκι Πέτρας, εντούτοις ζητούσε εκ νέου τη μελέτη του έργου καθώς διαπιστώθηκαν διαφορές με τα προηγούμενα τοπογραφικά διαγράμματα.
11. Τα υπ' αριθμόν 730/21-04-2016 και 476/16-03-2016 έγγραφα της Υπηρεσίας Νεώτερων Μνημείων και Τεχνικών Έργων Βορείου Αιγαίου του Υπουργείου Πολιτισμού και Αθλητισμού.
12. Το υπ' αριθμόν 2562/29-06-2016 έγγραφο του Αυτοτελούς Γραφείου Δημόσιας Περιουσίας Λέσβου του Υπουργείου Οικονομικών.
13. Το υπ' αριθμόν 2428/06-06-2017 έγγραφο του Δημοτικού Λιμενικού Ταμείου με την υπ' αριθμόν 142/2017 απόφαση, με την οποία ζητείται η έγκριση των υπ' αριθμών 289/2015 και 83/2016 αποφάσεων για την επέκταση της χερσαίας ζώνης λιμένα στο Καβάκι Πέτρας, σύμφωνα με τα επισυναπτόμενα εγκριτικά έγγραφα των αρμόδιων υπουργείων, αποφασίζουμε:
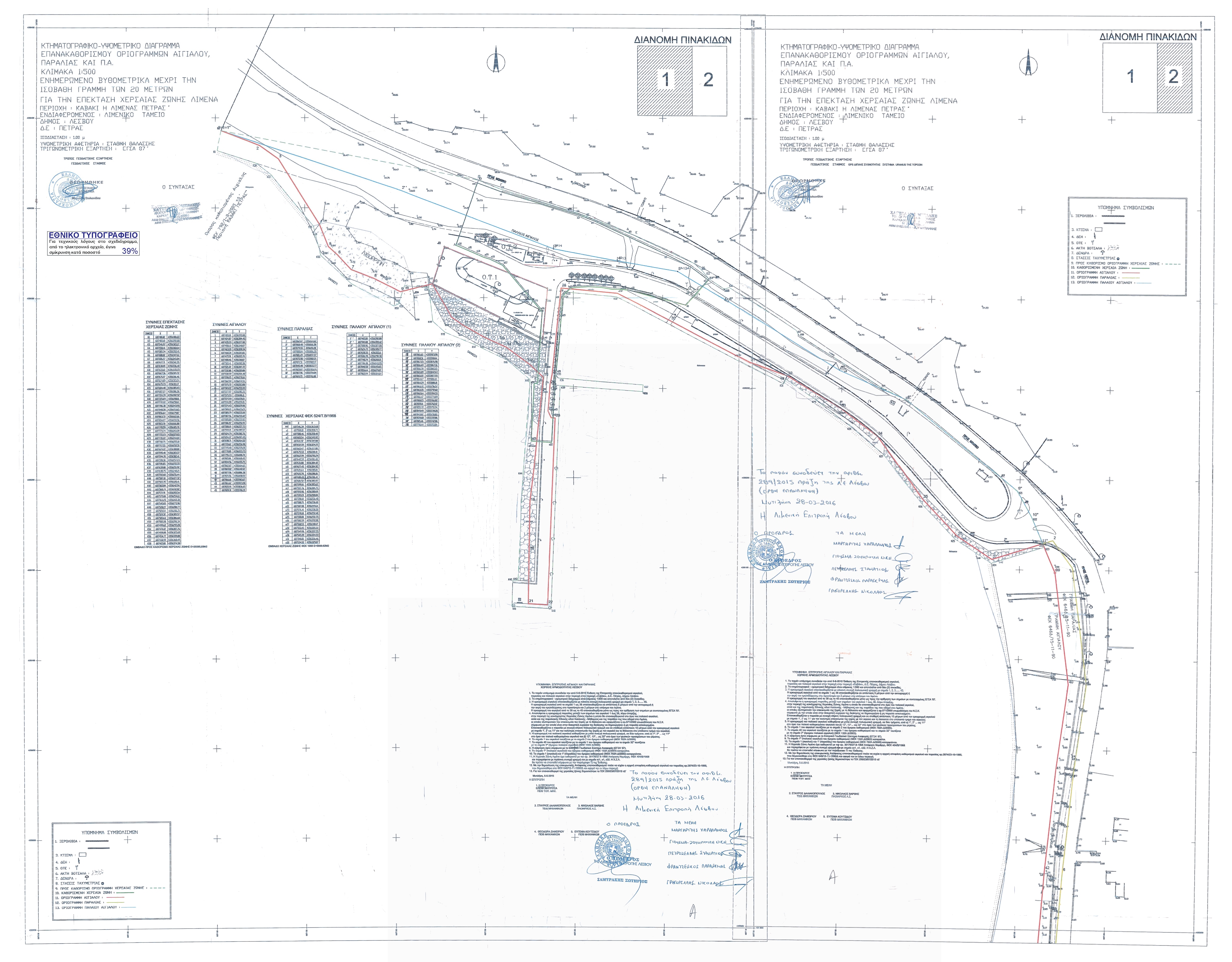
Εγκρίνουμε τις υπ' αριθμούς 289/2015 και την 83/2016 (συμπλήρωση της 1ης) πράξεις του Δημοτικού Λιμενικού Ταμείου Λέσβου που αφορούν στην επέκταση της χερσαίας ζώνης λιμένα στο Καβάκι Πέτρας, όπως ειδικότερα αναφέρεται στις ανωτέρω αποφάσεις και όπως αποτυπώνεται στο κτηματογραφικό - υψομετρικό διάγραμμα επανακαθορισμού οριογραμμών αιγιαλού παραλίας και παλαιού αιγιαλού, ενημερωμένο βυθομετρικά μέχρι την ισοβαθή γραμμή των 20 m που συνέταξε ο Μιχάλης Χατζέλλης, Τοπογράφος Μηχανικός, σε 2 πινακίδες τον Απρίλιο του 2015 σε κλίμακα 1:500 και θεωρήθηκε από την Προϊσταμένη της Διεύθυνσης ΤΥΔΛ Μαριάνθη Στυλιανίδου, το Δεκέμβριο του 2015.
Το διάγραμμα αυτό αποτελεί αναπόσπαστο μέρος της παρούσας απόφασης.
Η απόφαση αυτή μαζί με τα συνοδευτικά διαγράμματα σε κλίμακα 1:500 να δημοσιευθεί στην Εφημερίδα της Κυβερνήσεως.

Μυτιλήνη, 20-10-2017
Ο Συντονιστής Αποκεντρωμένης Διοίκησης