Απόφαση 7231/93

Απόφαση 7231/1993: Έγκριση τοπικού ρυμοτομικού σχεδίου στην Κοινότητα Κεφαλοβρύσου νομού Ιωαννίνων


Συνδεθείτε στην Υπηρεσία Νομοσκόπιο
Είσοδος στην υπηρεσία Νομοσκόπιο.
   
Χρήστης
Κωδικός
  Υπενθύμιση στοιχείων λογαριασμού
   
 
Νέοι χρήστες
Εάν είστε νέος χρήστης, θα πρέπει να δημιουργήσετε ένα ΔΩΡΕΑΝ λογαριασμό προκειμένου να φύγει το παράθυρο αυτό και να αποκτήσετε πλήρη πρόσβαση στην υπηρεσία Νομοσκόπιο.
Δημιουργία νέου λογαριασμού

 

 

Απόφαση 7231/1993: Έγκριση τοπικού ρυμοτομικού σχεδίου στην Κοινότητα Κεφαλοβρύσου νομού Ιωαννίνων, (ΦΕΚ 1556/Δ/1993), 30-12-1993.

 

Ο Νομάρχης Ιωαννίνων

 

Έχοντας υπόψη:

 

1. Τις διατάξεις του από 17-07-1923 νομοθετικού διατάγματος περί σχεδίων πόλεων κ.λ.π. όπως μεταγενέστερα τροποποιήθηκαν και συμπληρώθηκαν.

 

2. Τις διατάξεις του από 20-08-1985 προεδρικού διατάγματος (ΦΕΚ 414/Δ/1985) Πολεοδόμηση και επέκταση Οικισμών της χώρας μέχρι 2000 κατοίκων και τροποποίηση του από 24-04-1985 προεδρικού διατάγματος (ΦΕΚ 181/Δ/1985).

 

3. Τις διατάξεις του νόμου 1337/1983 (ΦΕΚ 33/Α/1983).

 

4. Τις διατάξεις του νόμου 1512/1985 (άρθρο 3) (ΦΕΚ 4/Α/1985).

 

5. Τις διατάξεις του από 24-04-1985 προεδρικού διατάγματος (ΦΕΚ 181/Δ/1985) όπως τροποποιήθηκε μεταγενέστερα.

 

6. Την υπ' αριθμόν 76/1993 απόφαση του Κοινοτικού Συμβουλίου Κεφαλοβρύσου περί εγκρίσεως και αναρτήσεως του ρυμοτομικού σχεδίου της περιοχής Θεοδωρίτσα της Κοινότητας Κεφαλοβρύσου.

 

7. Την από 28-09-1893 Βεβαίωση Προέδρου ότι δεν υποβλήθηκαν ενστάσεις.

 

8. Τις υπ' αριθμούς 35/1991 και 86/1992 αποφάσεις του Κοινοτικού Συμβουλίου Κοινότητας Κεφαλοβρύσου.

 

9. Την από 25-06-1991 κοινή έκθεση των υπαλλήλων του Δασαρχείου και του Τμήματος Πολεοδομίας και Πολεοδομικών Εφαρμογών Ιωαννίνων για την αλλαγή χρήσης Κοινοτικής δασικής έκτασης περιοχής Κεφαλοβρύσου, σύμφωνα με τις διατάξεις των παραγράφων 2Α)β, 3 και 5 του άρθρου 13 του νόμου 1734/1987 με σκοπό την Οικιστική αξιοποίηση.

 

10. Την υπ' αριθμόν 1676/1993 απόφαση του Νομάρχη σχετικά με τον καθορισμό χρήσης για εκποίηση Κοινοτικής έκτασης στην Κοινότητα Κεφαλοβρύσου.

 

11. Την από 28-09-1993 βεβαίωση Προέδρου της Κοινότητας Κεφαλοβρύσου από την οποία προκύπτει ότι προκαλείται δαπάνη σε βάρος του προϋπολογισμού.

 

12. Την υπ' αριθμόν 29/1993 πράξη γνωμοδότησης του Συμβουλίου Χωροταξίας, Οικισμού και Περιβάλλοντος του Νομού, αποφασίζουμε:

 

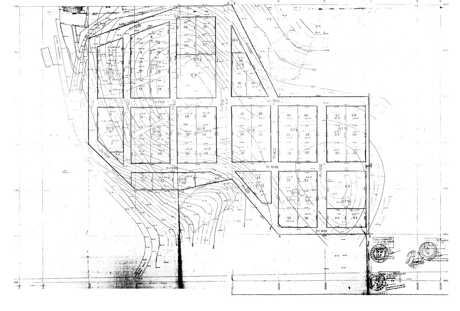
1. Την έγκριση του Τοπογραφικού Ρυμοτομικού σχεδίου της επέκτασης του Οικισμού της Κοινότητας Κεφαλοβρύσου στη θέση Θεοδωρίτσα το οποίο συντάχθηκε από τον Δημήτριο Παππά, Τοπογράφο Μηχανικό, προκειμένου η έκταση αυτή να χρησιμοποιηθεί για τη στεγαστική αποκατάσταση αστέγων κατοίκων της Κοινότητας Κεφαλοβρύσου.

 

2. Καθορίζουμε τα ελάχιστα όρια εμβαδού και προσώπου καθώς και λοιπούς όρους και περιορισμούς δόμησης ως εξής:

 

α. Ελάχιστο πρόσωπο: 14 m.

β. Ελάχιστο εμβαδόν: 300 m2.

γ. Κάλυψη: 40%.

δ. Συντελεστής δόμησης: 0.60.

ε. Μέγιστο ύψος: 8.50 m.

 

Το παραπάνω ύψος θα προσαυξάνεται κατά 2 m με την επιβολή στέγης με κλίση μέχρι 40% που είναι υποχρεωτική.

 

Κατά τα λοιπά ως προς τους Γενικούς και τους ειδικούς όρους δόμησης θα ισχύει το από 24-04-1985 προεδρικό διάταγμα όπως τροποποιήθηκε με το από 14-02-1987 προεδρικό διάταγμα) και η υπ' αριθμόν 911/1987 (ΦΕΚ 912/Δ/1987) απόφαση οριοθέτησης του Οικισμού Κεφαλοβρύσου.

 

3. Η παρούσα απόφαση μαζί με το ρυμοτομικό σχεδιάγραμμα που τη συνοδεύει να δημοσιευθούν στην Εφημερίδα της Κυβερνήσεως.

 

4. Από τις διατάξεις της παρούσας προκύπτει δαπάνη σε βάρος της Κοινότητας η οποία δεν έχει προγραμματισθεί.

 

a.7231.93

 

Ιωάννινα, 03-12-1993

 

Ο Νομάρχης

 



Copyright © 2017 TechnoLogismiki. Με την επιφύλαξη παντός δικαιώματος.