| Συνδεθείτε στην Υπηρεσία Νομοσκόπιο | | | | | Νέοι χρήστες | | Εάν είστε νέος χρήστης, θα πρέπει να δημιουργήσετε ένα ΔΩΡΕΑΝ λογαριασμό προκειμένου να φύγει το παράθυρο αυτό και να αποκτήσετε πλήρη πρόσβαση στην υπηρεσία Νομοσκόπιο. | | Δημιουργία νέου λογαριασμού | | |
Απόφαση ΥΠΠΟΑ/ΓΔΑΜΤΕ/ΔΠΑΝΣΜ/31590/3136/250/2018: Χαρακτηρισμός ως νεώτερου μνημείου κτηρίου φερομένης ιδιοκτησίας Ελένης Λουκοπούλου στον οικισμό Λαύκος, Δήμου Νοτίου Πηλίου, (ΦΕΚ 72/ΑΑΠ/2018), 19-04-2018.
Η Υπουργός Πολιτισμού και Αθλητισμού
Έχοντας υπόψη:
1. Τις διατάξεις:
α) Του άρθρου 90 του προεδρικού διατάγματος 63/2005 (ΦΕΚ 98/Α/2005) Κωδικοποίηση της Νομοθεσίας για την Κυβέρνηση και τα Κυβερνητικά Όργανα, καθώς και ότι από την εφαρμογή των κανονιστικών αυτών διατάξεων δεν προκαλείται δαπάνη σε βάρος του κρατικού προϋπολογισμού.
β) Του νόμου 2039/1992 (ΦΕΚ 61/Α/1992) Περί Κύρωσης της Σύμβασης για την προστασία της Αρχιτεκτονικής Κληρονομιάς της Ευρώπης.
γ) Του νόμου 3028/2002 (ΦΕΚ 153/Α/2002) Για την προστασία των Αρχαιοτήτων και εν γένει της Πολιτιστικής Κληρονομιάς ιδίως του άρθρου 6 παράγραφος 4.
δ) Του προεδρικού διατάγματος 4/2018 (ΦΕΚ 7/Α/2018) Οργανισμός Υπουργείου Πολιτισμού και Αθλητισμού.
ε) Του άρθρου 1 του προεδρικού διατάγματος 70/2015 (ΦΕΚ 114/Α/2015) Ανασύσταση των Υπουργείων ... σχετικά με τη σύσταση Υπουργείου Πολιτισμού και Αθλητισμού.
στ) Του προεδρικού διατάγματος 73/2015 (ΦΕΚ 116/Α/2015) Διορισμός Αντιπροέδρου της Κυβέρνησης, Υπουργών, Αναπληρωτών Υπουργών και Υφυπουργών.
ζ) Την υπ' αριθμόν ΥΠΠΟΑ/ΓΔΔΥΗΔ/ΔΔΑΑΔ/ΤΔΑΔΤΠ/Α1/272598/33659/30330/23405/2015 κοινή απόφαση του Πρωθυπουργού και του Υπουργού Πολιτισμού και Αθλητισμού για το διορισμό Μετακλητού Γενικού Γραμματέα του Υπουργείου Πολιτισμού και Αθλητισμού (ΦΕΚ 706/ΥΟΔΔ/2015).
2. Την υπουργική απόφαση ΥΠΠΟ/ΔΟΕΠΥ/ΤΟΠΥΝΣ/14/3698/2004 Οργάνωση και λειτουργία των Συμβουλίων του νόμου 3028/2002 (ΦΕΚ 70/Β/2004).
3. Την κοινή υπουργική απόφαση ΥΠΠΟ/ΓΝΟΣ/49610/1990 (ΦΕΚ 743/Β/1990) Εξαίρεση από τον περιορισμό των τριών υπογραφών.
4. Την Εισήγηση της Διεύθυνσης Προστασίας και Αναστήλωσης Νεώτερων και Σύγχρονων Μνημείων και τα λοιπά στοιχεία του φακέλου.
5. Την ομόφωνη γνωμοδότηση του Κεντρικού Συμβουλίου Νεωτέρων Μνημείων με αριθμό Πρακτικού 2/18-01-2018 (Θέμα 1ο), αποφασίζουμε:
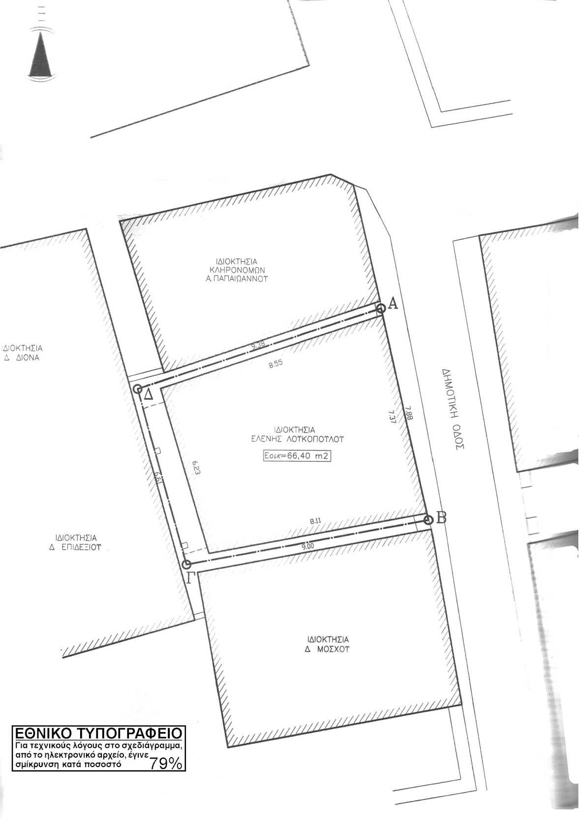
Το χαρακτηρισμό ως μνημείου σύμφωνα με τις διατάξεις του άρθρου 6 παράγραφος 1)β του νόμου 3028/2002, του κτηρίου φερομένης ιδιοκτησίας Ελένης Λουκοπούλου στον οικισμό Λαύκος, Δήμου Νοτίου Πηλίου (σύμφωνα με το συνημμένο τοπογραφικό διάγραμμα) διότι αποτελεί αναπόσπαστο τμήμα του κεντρικού πυρήνα της πόλης του οικισμού Λαύκου. Διαθέτει σε μεγάλο βαθμό αναλλοίωτα τα αξιόλογα μικτά αρχιτεκτονικά και μορφολογικά χαρακτηριστικά του ανάγονται στο τέλος του 19ου αιώνα και ως εκ τούτου είναι τεκμήριο για τη μελέτη της εξέλιξης της περιοχής από αρχιτεκτονικής, οικονομικής, πολιτιστικής και πολιτισμικής άποψης.
Η παρούσα δεν αποτελεί αναγνώριση κυριότητας ή τίτλου ιδιοκτησίας.
Η απόφαση αυτή να δημοσιευθεί στην Εφημερίδα της Κυβερνήσεως.

Αθήνα, 21-03-2018
Η Υπουργός