Νόμος 4484/17 - Άρθρο 26

Άρθρο 26: Παραχωρήσεις δημοσίων ακινήτων


Συνδεθείτε στην Υπηρεσία Νομοσκόπιο
Είσοδος στην υπηρεσία Νομοσκόπιο.
   
Χρήστης
Κωδικός
  Υπενθύμιση στοιχείων λογαριασμού
   
 
Νέοι χρήστες
Εάν είστε νέος χρήστης, θα πρέπει να δημιουργήσετε ένα ΔΩΡΕΑΝ λογαριασμό προκειμένου να φύγει το παράθυρο αυτό και να αποκτήσετε πλήρη πρόσβαση στην υπηρεσία Νομοσκόπιο.
Δημιουργία νέου λογαριασμού

 

 

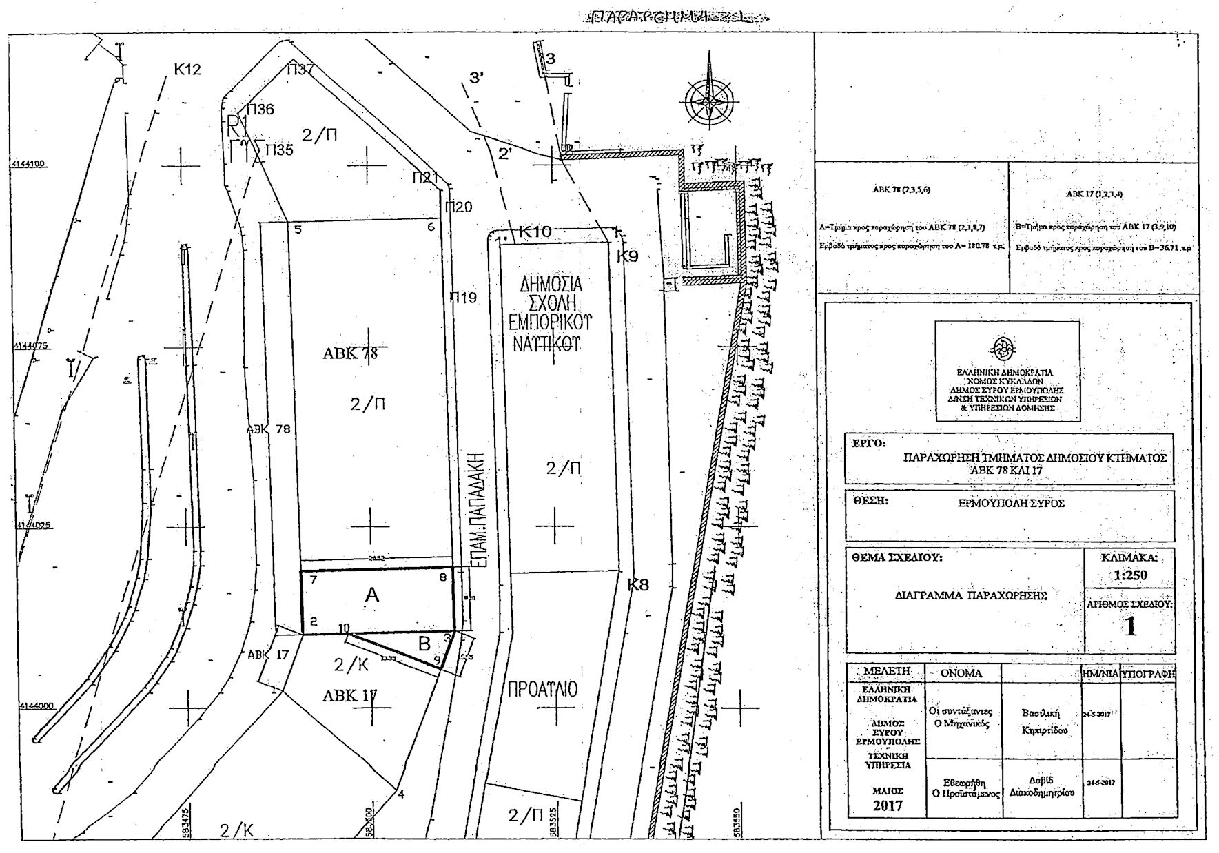
1. Παραχωρείται χωρίς αντάλλαγμα στο Δήμο Ερμούπολης Σύρου του Νομού Κυκλάδων η κυριότητα τμημάτων των δημοσίων ακινήτων με ΑΒΚ 78 και ΑΒΚ 17 του Γενικού Βιβλίου Καταγραφής του Αυτοτελούς Γραφείου Δημόσιας Περιουσίας Σύρου (παλαιές αποθήκες Τελωνείου Σύρου), με τα συστατικά και Παραρτήματά τους, όπως αυτά εμφαίνονται στο συνημμένο στο παρόν τοπογραφικό διάγραμμα (Παράρτημα I), με στοιχεία 2-38-7 (για το ΑΒΚ 78) και στοιχεία 10-9-3 (για το ΑΒΚ 17), με σκοπό την εκ μέρους του παραχώρηση αυτών κατά χρήση προς το Πανεπιστήμιο Αιγαίου για την κάλυψη των στεγαστικών αναγκών του Τμήματος Μηχανικών Σχεδίασης Προϊόντων και Συστημάτων.

 

n.4484.17.2

 

2. Παραχωρείται χωρίς αντάλλαγμα στο νομικό πρόσωπο δημοσίου δικαίου με την επωνυμία Ενιαίος Αγροτικός Συνεταιρισμός Ιεράπετρας Παραγωγών Κηπευτικών, Ελαιολάδου, Μελιού και λοιπών προϊόντων φυτικής και ζωικής παραγωγής Η ΕΝΩΣΗ η κυριότητα του δημόσιου ακινήτου με ΑΒΚ 32 του Γενικού Βιβλίου Καταγραφής του Αυτοτελούς Γραφείου Δημόσιας Περιουσίας (Κτηματική Υπηρεσία) Λασιθίου, με τα συστατικά και Παραρτήματά του, όπως αυτό εμφαίνεται στο συνημμένο στο παρόν διάγραμμα πράξης εφαρμογής (Παράρτημα II), για τις ανάγκες του Συνεταιρισμού και ιδίως, της συγκέντρωσης και αποθήκευσης του ελαιόλαδου.

 

n.4484.17.3

 

3. Παραχωρείται χωρίς αντάλλαγμα προς τη Γενική Γραμματεία Αθλητισμού του Υπουργείο Πολιτισμού και Αθλητισμού η κυριότητα του δημοσίου ακινήτου με ΑΒΚ 1674, με τα συστατικά και Παραρτήματά του, του Γενικού Βιβλίου Καταγραφής της Περιφερειακής Διεύθυνσης Δημόσιας Περιουσίας Αιγαίου (Κτηματική Υπηρεσία Πειραιά), όπως αυτό εμφαίνεται στο συνημμένο στο παρόν τοπογραφικό διάγραμμα (Παράρτημα III), με στοιχεία 1'- 1''- 2''- 3''- 4''- 5''- 6''- 7''- 8''- 9''- 10'' - 11''- 12''- 13''- 14''- 15''- 16''- 17''- 18''- 19''- 20''- 21'' - 22''- 23''- 24''- 25''- 26''- 27''- 28''- 29''- 30''- 31''- 32'' - 33''- 34''- 35''- 36''- 37''- 38''- 39''- 40''- 41''- 42''- 43''44''- 45''- 46''- 47''- 48''- 49''- 50''- 51''- 52''- 15'- 14'13'- 12'- 11'- 10'- 9'- 8'- 7'- 6'- 5'- 4'- 3'- 2'- 1' (τέσσερις πινακίδες), με σκοπό την εκ μέρους του παραχώρηση κατά χρήση στο νομικό πρόσωπο ιδιωτικού δικαίου με την επωνυμία Στάδιο Ειρήνης και Φιλίας (Σ.Ε.Φ.), προκειμένου το τελευταίο να φροντίσει, με δικές του δαπάνες, για τη διαμόρφωση, διαχείριση, προστασία και γενικά την ανάπλαση του περιβάλλοντος χώρου του Σταδίου Ειρήνης και Φιλίας και για τη συντήρηση και λειτουργία των εντός αυτού αθλητικών εγκαταστάσεων, απαγορευόμενης ρητώς της καθ' οιονδήποτε τρόπο μεταβολής της χρήσης αυτού, ως και της υπέρβασης των σκοπών για τους οποίους γίνεται η παραχώρηση.

 

n.4484.17.4

 

4. Παραχωρείται χωρίς αντάλλαγμα στον Δήμο Νισύρου του Νομού Δωδεκανήσου η κυριότητα του δημοσίου ακινήτου με ΑΒΚ 8 του Γενικού Βιβλίου Καταγραφής του Αυτοτελούς Γραφείου Δημόσιας Περιουσίας του Νομού Δωδεκανήσου (νησίδα Γυαλί, ανατολικό τμήμα, με στοιχείο α'), με τα συστατικά και τα Παραρτήματά του, όπως αυτό εμφαίνεται στο συνημμένο στο παρόν τοπογραφικό διάγραμμα (Παράρτημα IV), για την ενίσχυση της οικονομικής ζωής και την ανάπτυξη του ακριτικού Δήμου.

 

n.4484.17.5

 

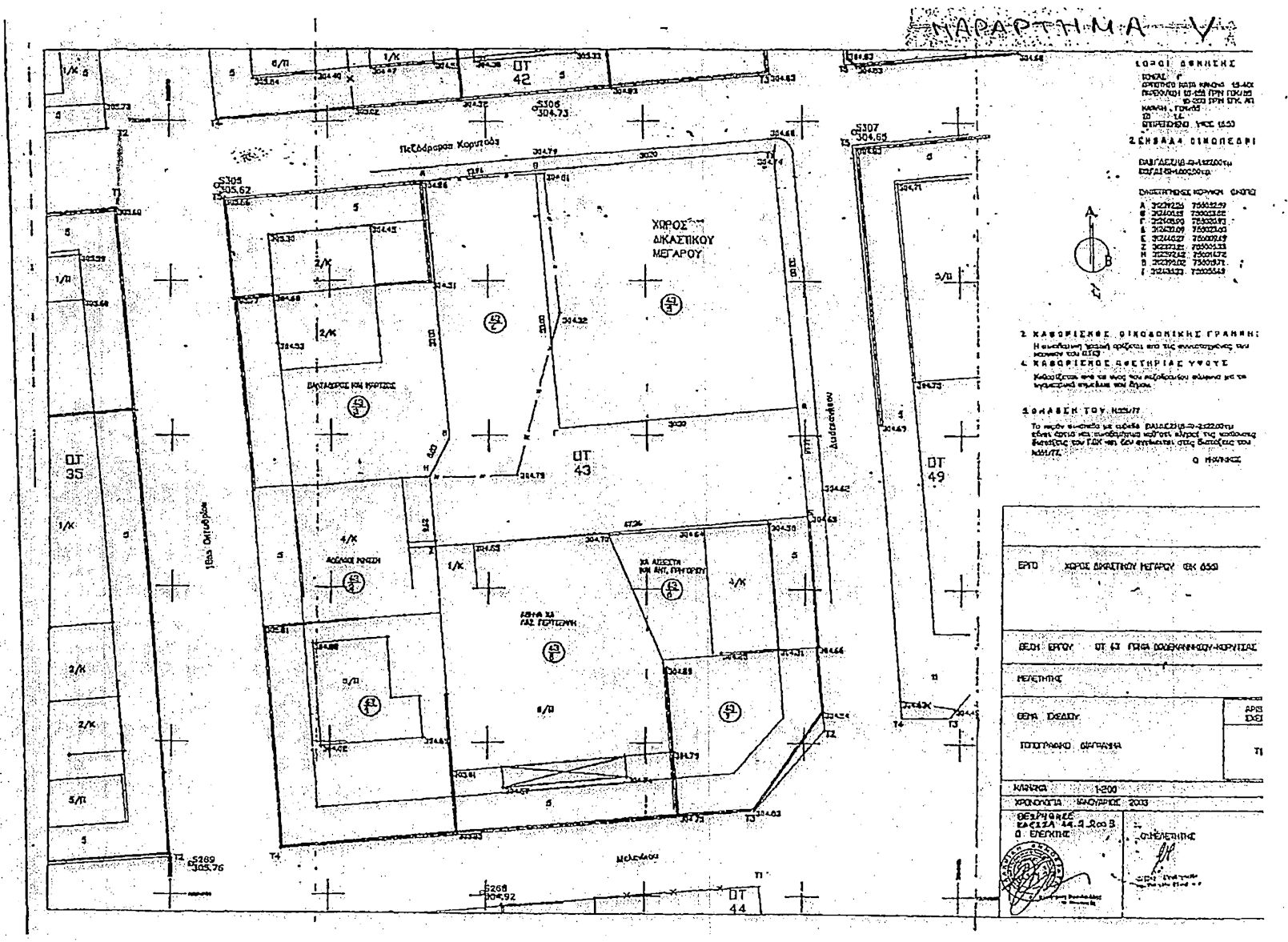
5. Παραχωρείται χωρίς αντάλλαγμα στο νομικό πρόσωπο δημοσίου δικαίου με την επωνυμία Ταμείο Χρηματοδότησης Δικαστικών Κτηρίων (ΤΑΧΔΙΚ) το εκ ποσοστού 50% δικαίωμα του Δημοσίου επί της κυριότητας ακινήτου με ΑΒΚ 656 του Γενικού Βιβλίου Καταγραφής του Αυτοτελούς Γραφείου Δημόσιας Περιουσίας Έδεσσας, με τα συστατικά και παραρτήματά του, όπως αυτό εμφαίνεται στο συνημμένο στο παρόν διάγραμμα πράξης εφαρμογής (Παράρτημα V), για την ανέγερση του νέου Δικαστικού Μεγάρου Έδεσσας.

 

n.4484.17.6

 

6. Παραχωρείται χωρίς αντάλλαγμα στο νομικό πρόσωπο δημοσίου δικαίου με την επωνυμία Περιφέρεια Ιονίων Νήσων η κυριότητα του δημοσίου ακινήτου με ΑΒΚ 285 του Γενικού Βιβλίου Καταγραφής, με ΚΑΕΚ 240541970004/0/0 του Κτηματολογικού Γραφείου Κέρκυρας της Περιφερειακής Διεύθυνσης Δημόσιας Περιουσίας Πελοποννήσου - Δυτικής Ελλάδας και Ιονίου, με τα συστατικά και Παραρτήματά του, όπως αυτό εμφαίνεται στο συνημμένο στο παρόν απόσπασμα κτηματολογικού διαγράμματος Παλαιάς Πόλεως Κέρκυρας-Πινακίδα 18 (Παράρτημα VI), και απόσπασμα κτηματολογικού διαγράμματος του Κτηματολογικού Γραφείου Κέρκυρας (Παράρτημα VIΑ), για τη στέγαση των Υπηρεσιών του. Η υπ' αριθμόν Δ10Α/00066/5554/ΠΕ/ΕΞ2014/2014 κοινή υπουργική απόφαση των Υπουργών Οικονομικών και Εσωτερικών (ΑΔΑ Ω55ΝΗ-Ζ2Υ) καταργείται.

 

n.4484.17.7

 

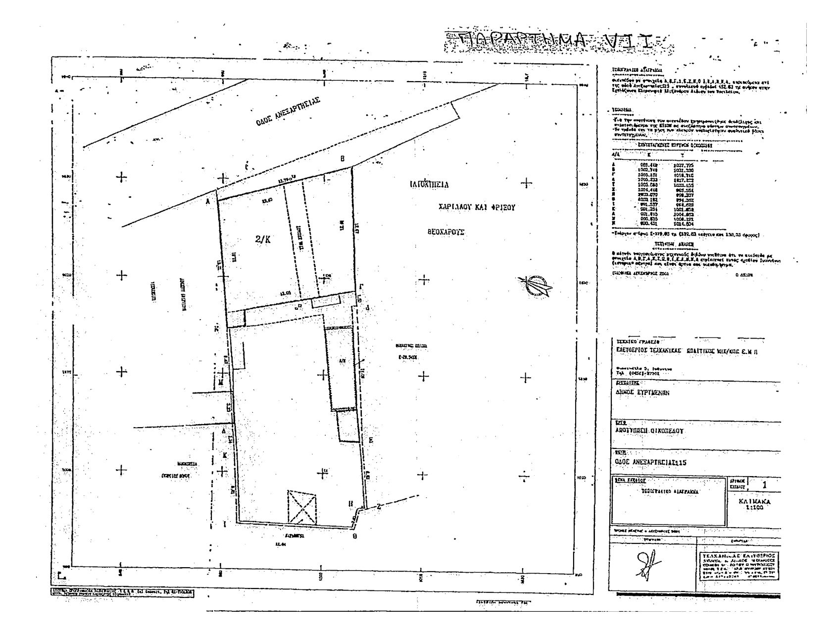
7. Παραχωρείται χωρίς αντάλλαγμα στο Υπουργείο Πολιτισμού και Αθλητισμού η κυριότητα του δημοσίου ακινήτου με ΑΒΚ 418 του Γενικού Βιβλίου Καταγραφής της Περιφερειακής Διεύθυνσης Δημόσιας Περιουσίας Ηπείρου - Δυτικής Μακεδονίας, με τα συστατικά και τα Παραρτήματά του, όπως αυτό εμφαίνεται στο συνημμένο στο παρόν τοπογραφικό διάγραμμα (Παράρτημα VII), για την κάλυψη των στεγαστικών αναγκών της Περιφερειακής Υπηρεσίας Νεωτέρων Μνημείων και Τεχνικών έργων Ηπείρου, Βορείου Ιονίου και Δυτικής Μακεδονίας του Υπουργείου Πολιτισμού και Αθλητισμού.

 

n.4484.17.8

 

8. Το Διοικητικό Συμβούλιο του οικείου νομικού προσώπου ή ο αρμόδιος, κατά περίπτωση, Υπουργός, αποφασίζει την καταχώριση της αποδοχής της παραχώρησης του ακινήτου, στο αρμόδιο κτηματολόγιο ή υποθηκοφυλακείο. Το απόσπασμα της απόφασης του Διοικητικού Συμβουλίου ή η απόφαση του αρμόδιου Υπουργού, στα οποία περιγράφονται τα μεταβιβασθέντα ακίνητα και το δικαίωμα επ' αυτών, καθώς και όλα τα άλλα απαιτούμενα εκ της ισχύουσας νομοθεσίας στοιχεία, αποτελούν τον τίτλο για την καταχώριση της μεταβίβασης των ακινήτων στο αρμόδιο κτηματολόγιο ή υποθηκοφυλακείο.

 

9. Η παραχώρηση της κυριότητας των δημοσίων ακινήτων του παρόντος άρθρου αίρεται με απόφαση του Υπουργού Οικονομικών, η οποία αποτελεί τίτλο μεταγραφής και εγγραφής στο αρμόδιο υποθηκοφυλακείο και κτηματολόγιο, αντίστοιχα, εάν αυτά δεν χρησιμοποιηθούν εντός πενταετίας από την έναρξη ισχύος του παρόντος για τους σκοπούς, για τους οποίους παραχωρήθηκαν.

 

10. Με αιτιολογημένη απόφαση του Υπουργού Οικονομικών, η οποία αποτελεί τίτλο μεταγραφής και εγγραφής στο αρμόδιο υποθηκοφυλακείο και κτηματολόγιο, αντίστοιχα, αίρεται η παραχώρηση της κυριότητας, ιδίως για καθυστέρηση, ματαίωση ή πλημμελή εκπλήρωση του σκοπού της παραχώρησης, αλλαγή της προβλεπόμενης χρήσης, καθώς και για λόγους ανωτέρας βίας ή για σπουδαίο λόγο.

 



Copyright © 2017 TechnoLogismiki. Με την επιφύλαξη παντός δικαιώματος.