Προεδρικό διάταγμα 11/4/12 - Άρθρο 1

Άρθρο 1


Συνδεθείτε στην Υπηρεσία Νομοσκόπιο
Είσοδος στην υπηρεσία Νομοσκόπιο.
   
Χρήστης
Κωδικός
  Υπενθύμιση στοιχείων λογαριασμού
   
 
Νέοι χρήστες
Εάν είστε νέος χρήστης, θα πρέπει να δημιουργήσετε ένα ΔΩΡΕΑΝ λογαριασμό προκειμένου να φύγει το παράθυρο αυτό και να αποκτήσετε πλήρη πρόσβαση στην υπηρεσία Νομοσκόπιο.
Δημιουργία νέου λογαριασμού

 

 

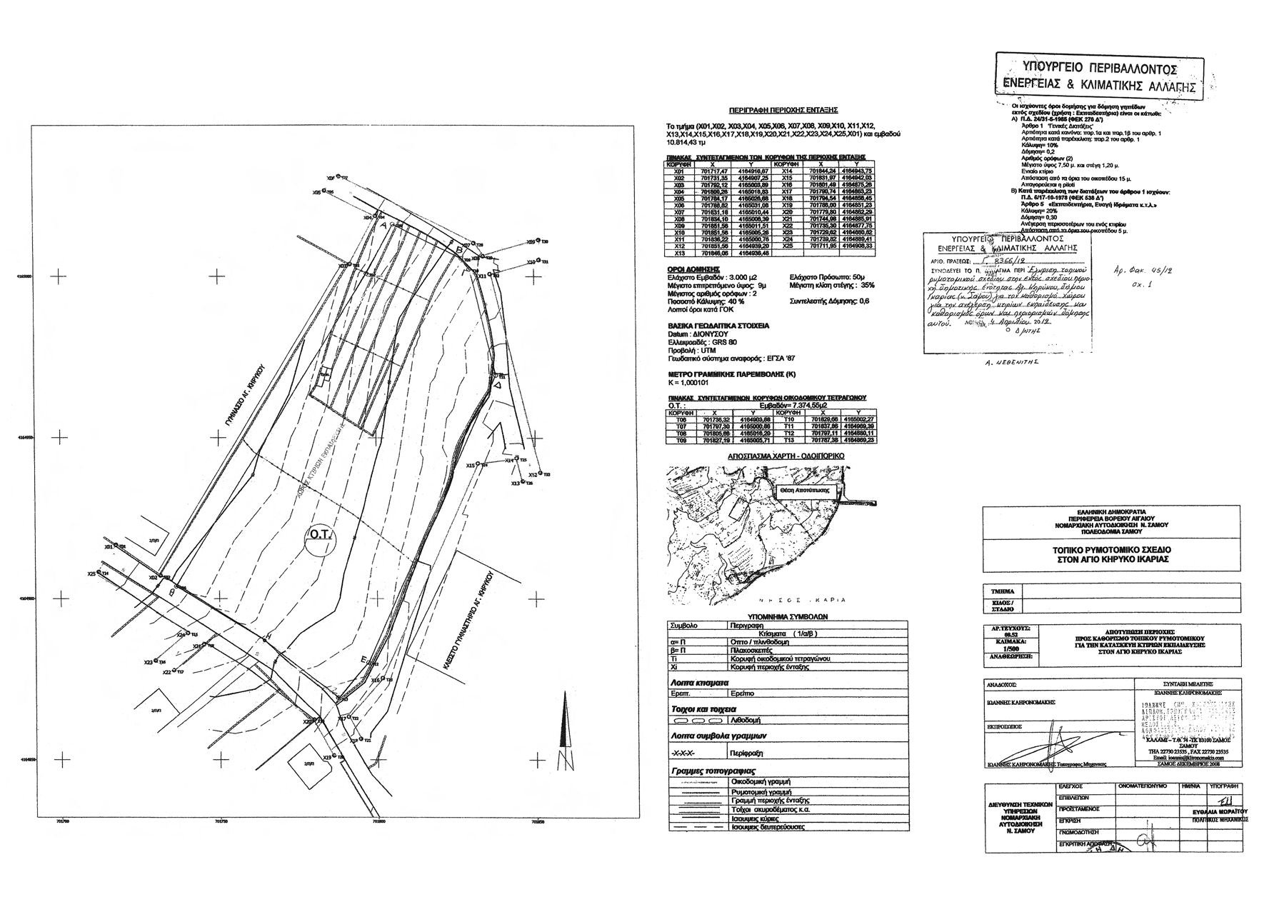
Εγκρίνεται τοπικό ρυμοτομικό σχέδιο στην εκτός σχεδίου περιοχή Βασιλάρικα της δημοτικής ενότητας Αγίου Κηρύκου του Δήμου Ικαρίας (νομού Σάμου) για τον καθορισμό χώρου κτιρίων εκπαίδευσης με στοιχεία Α, Β, Γ, Δ, Ε, Ζ, Η, Θ, Α για την ανέγερση δωδεκαθέσιου δημοτικού σχολείου και την έγκριση περιμετρικών οδών, όπως οι ρυθμίσεις αυτές φαίνονται στο σχετικό πρωτότυπο διάγραμμα σε κλίμακα 1:500, που θεωρήθηκε από τον Προϊστάμενο της Διεύθυνσης Τοπογραφικών Εφαρμογών με την υπ' αριθμόν 8366/2012 πράξη του και που αντίτυπο του σε φωτοσμίκρυνση δημοσιεύεται με το παρόν διάταγμα.

 

pd.11.4.12



Copyright © 2017 TechnoLogismiki. Με την επιφύλαξη παντός δικαιώματος.