Προεδρικό διάταγμα 11/5/11 - Άρθρο 1

Άρθρο 1


Συνδεθείτε στην Υπηρεσία Νομοσκόπιο
Είσοδος στην υπηρεσία Νομοσκόπιο.
   
Χρήστης
Κωδικός
  Υπενθύμιση στοιχείων λογαριασμού
   
 
Νέοι χρήστες
Εάν είστε νέος χρήστης, θα πρέπει να δημιουργήσετε ένα ΔΩΡΕΑΝ λογαριασμό προκειμένου να φύγει το παράθυρο αυτό και να αποκτήσετε πλήρη πρόσβαση στην υπηρεσία Νομοσκόπιο.
Δημιουργία νέου λογαριασμού

 

 

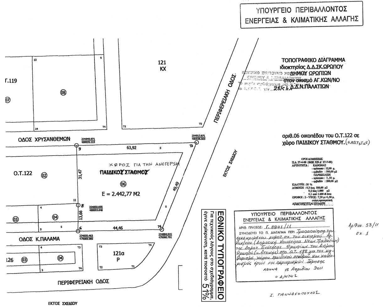
Εγκρίνεται η τροποποίηση του εγκεκριμένου ρυμοτομικού σχεδίου του οικισμού Αγίου Κωνσταντίνου (Δημοτική Κοινότητα Νέων Παλατίων) της Δημοτικής Ενότητας Ωρωπίων του Δήμου Ωρωπού (νομός Αττικής) και ειδικότερα σε τμήμα του Οικοδομικού Τετραγώνου 122 με την μετατροπή οικοδομήσιμου χώρου σε χώρο για την ανέγερση παιδικού σταθμού, όπως αυτός φαίνεται με στοιχεία 9-Τ3-Τ4-6-8-9 στο σχετικό πρωτότυπο διάγραμμα σε κλίμακα 1:500 που θεωρήθηκε από τον Προϊστάμενο της Διεύθυνσης Τοπογραφικών Εφαρμογών με την 8841/2011 πράξη του και που αντίτυπό του σε φωτοσμίκρυνση δημοσιεύεται με το παρόν διάταγμα.

 

pd.11.5.11



Copyright © 2017 TechnoLogismiki. Με την επιφύλαξη παντός δικαιώματος.