Προεδρικό διάταγμα 12/10/98 - Άρθρο 1

Άρθρο 1


Συνδεθείτε στην Υπηρεσία Νομοσκόπιο
Είσοδος στην υπηρεσία Νομοσκόπιο.
   
Χρήστης
Κωδικός
  Υπενθύμιση στοιχείων λογαριασμού
   
 
Νέοι χρήστες
Εάν είστε νέος χρήστης, θα πρέπει να δημιουργήσετε ένα ΔΩΡΕΑΝ λογαριασμό προκειμένου να φύγει το παράθυρο αυτό και να αποκτήσετε πλήρη πρόσβαση στην υπηρεσία Νομοσκόπιο.
Δημιουργία νέου λογαριασμού

 

 

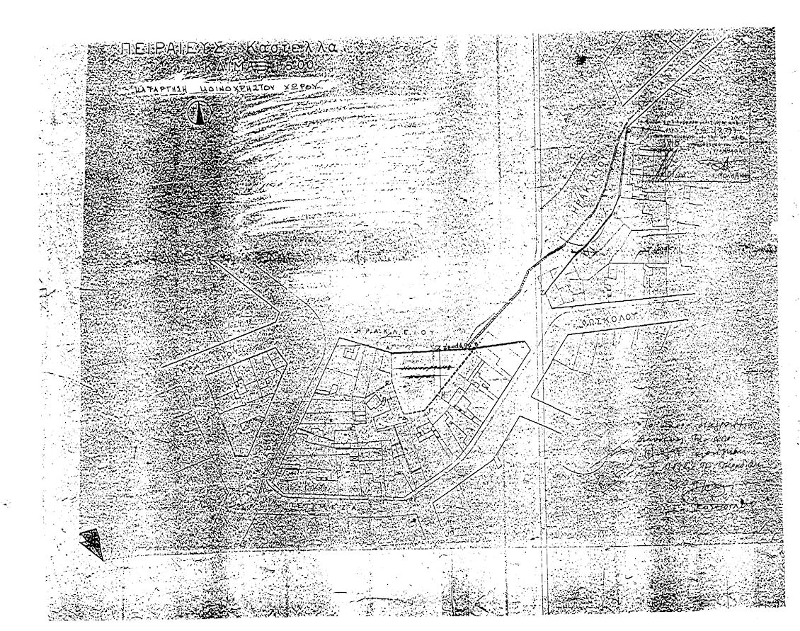
Εγκρίνεται η τροποποίηση του εγκεκριμένου ρυμοτομικού σχεδίου του Δήμου Πειραιά (νομού Αττικής), στο τμήμα της πόλης, που έχει χαρακτηρισθεί ως παραδοσιακό με το από 27-07-1982 προεδρικό διάταγμα Χαρακτηρισμός τμήματος της πόλης του Πειραιά σαν παραδοσιακού (Ιστορικό Κέντρο Πειραιά) (ΦΕΚ 410/Δ/1982) και ειδικότερα στην περιοχή του Προφήτη Ηλία Καστέλλας στα 73Α οικοδομικό τετράγωνο, το οποίο περικλείεται από τις οδούς Ηρακλέους, Ηρακλείου και Πετιμεζά με τη μετατροπή του κοινοχρήστου χώρου σε οικοδομήσιμο, όπως φαίνεται στο σχετικό πρωτότυπο διάγραμμα σε κλίμακα 1:500, που θεωρήθηκε από τον Προϊστάμενο της Διεύθυνσης Τοπογραφικών Εφαρμογών με την 23505/1998 πράξη του και που αντίτυπό του σε φωτοσμίκρυνση δημοσιεύεται με το παρόν διάταγμα.

 

pd.12.10.98



Copyright © 2017 TechnoLogismiki. Με την επιφύλαξη παντός δικαιώματος.