Προεδρικό διάταγμα 12/8/02 - Άρθρο 1

Άρθρο 1


Συνδεθείτε στην Υπηρεσία Νομοσκόπιο
Είσοδος στην υπηρεσία Νομοσκόπιο.
   
Χρήστης
Κωδικός
  Υπενθύμιση στοιχείων λογαριασμού
   
 
Νέοι χρήστες
Εάν είστε νέος χρήστης, θα πρέπει να δημιουργήσετε ένα ΔΩΡΕΑΝ λογαριασμό προκειμένου να φύγει το παράθυρο αυτό και να αποκτήσετε πλήρη πρόσβαση στην υπηρεσία Νομοσκόπιο.
Δημιουργία νέου λογαριασμού

 

 

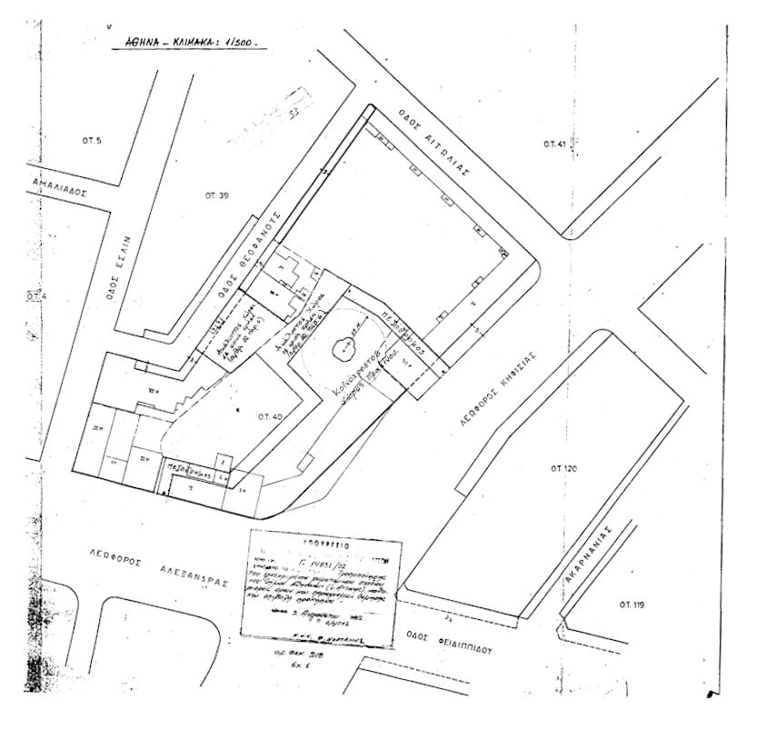
Εγκρίνεται η τροποποίηση του εγκεκριμένου ρυμοτομικού σχεδίου του δήμου Αθηναίων (νομού Αττικής) στο οικοδομικό τετράγωνο 40 (περιοχή 80), εντός του οποίου βρίσκεται ο Ιερός Ναός Αγίου Νικολάου Θων, ο οποίος έχει χαρακτηρισθεί ως ιστορικό διατηρητέο μνημείο με την Β1/Φ.26/42088/1576/1979 απόφαση του Υπουργού Πολιτισμού (ΦΕΚ 869/Β/1979) με τη μετατροπή οικοδομήσιμου χώρου σε κοινόχρηστο χώρο πρασίνου, την έγκριση πεζοδρόμων, την ενοποίηση ακαλύπτων χώρων οικοπέδων και τη δημιουργία δευτερεύοντος δικτύου ελευθέρων κοινόχρηστων χώρων αποκλειστικά για πεζούς, όπως φαίνεται στο σχετικό πρωτότυπο διάγραμμα σε κλίμακα 1:500, που θεωρήθηκε από τον Προϊστάμενο της Διεύθυνσης Τοπογραφικών Εφαρμογών με την 14851/2002 πράξη του και που αντίτυπό του σε φωτοσμίκρυνση δημοσιεύεται με το παρόν διάταγμα.

 

pd.12.8.02

 

ΣΗΜΕΙΩΣΗ: Το παρόν άρθρο καταργήθηκε με την υπ' αριθμόν 3117/2004 απόφαση ΣτΕ.

 



Copyright © 2017 TechnoLogismiki. Με την επιφύλαξη παντός δικαιώματος.