Προεδρικό διάταγμα 14/2/12 - Άρθρο 1

Άρθρο 1


Συνδεθείτε στην Υπηρεσία Νομοσκόπιο
Είσοδος στην υπηρεσία Νομοσκόπιο.
   
Χρήστης
Κωδικός
  Υπενθύμιση στοιχείων λογαριασμού
   
 
Νέοι χρήστες
Εάν είστε νέος χρήστης, θα πρέπει να δημιουργήσετε ένα ΔΩΡΕΑΝ λογαριασμό προκειμένου να φύγει το παράθυρο αυτό και να αποκτήσετε πλήρη πρόσβαση στην υπηρεσία Νομοσκόπιο.
Δημιουργία νέου λογαριασμού

 

 

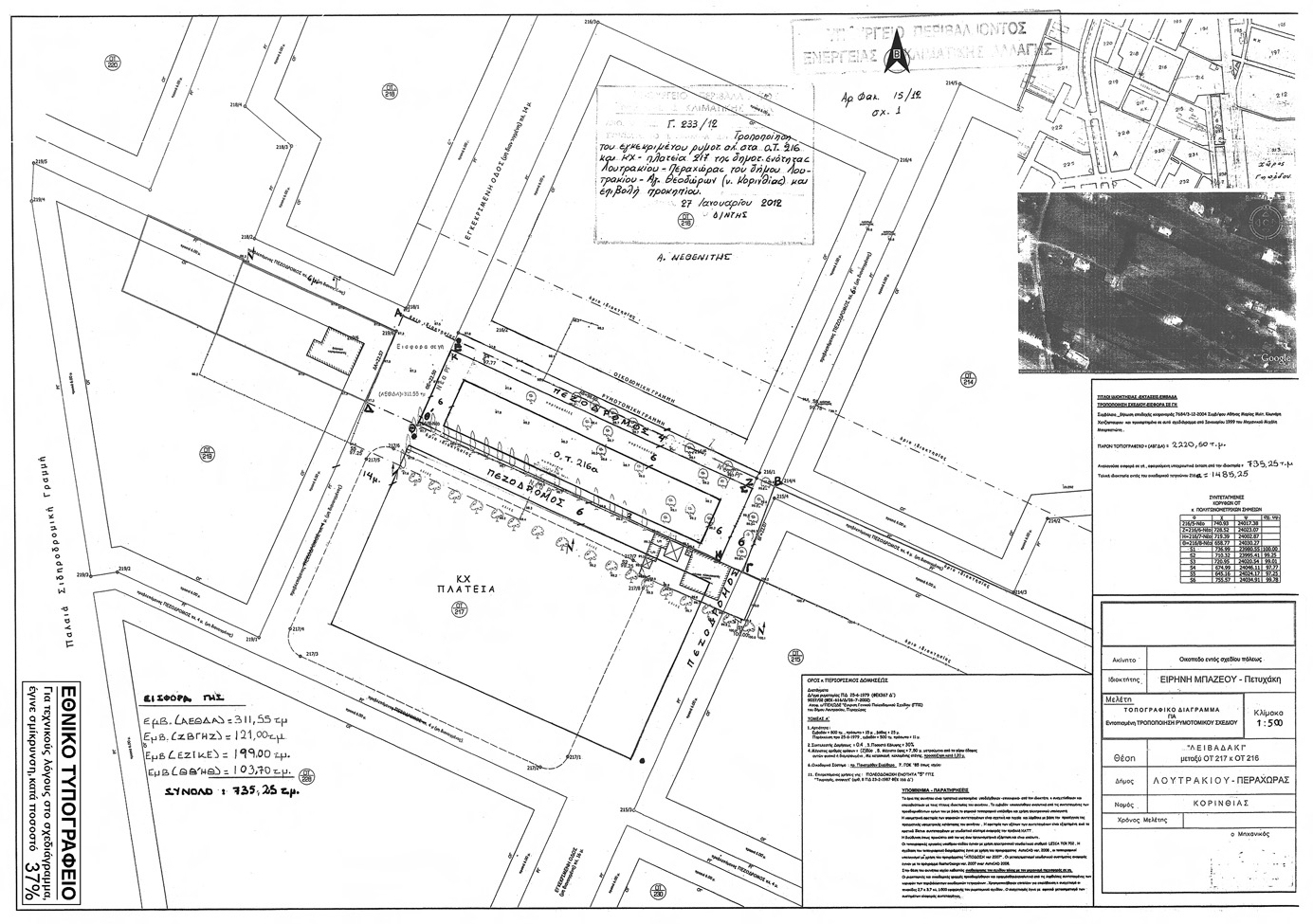
Εγκρίνεται η τροποποίηση του εγκεκριμένου ρυμοτομικού σχεδίου της δημοτικής ενότητας Λουτρακίου - Περαχώρας του δήμου Λουτρακίου - Αγίων Θεοδώρων (νομού Κορινθίας) με:

 

α) την άρση της απαλλοτρίωσης στον ΚΧ - οδό μεταξύ του οικοδομικού τετραγώνου 216 και του ΚΧ - πλατεία 217 και τον καθορισμό οικοδομήσιμου χώρου (ΟΤ 216Α)

 

β) την μετατόπιση των ρυμοτομικών γραμμών του ΚΧ - πλατεία 217 και την κατάργηση και έγκριση οδών και πεζοδρόμων, όπως οι παραπάνω ρυθμίσεις φαίνονται στο σχετικό πρωτότυπο διάγραμμα σε κλίμακα 1:500 που θεωρήθηκε από τον Προϊστάμενο της Διεύθυνσης Τοπογραφικών Εφαρμογών με την 233/2012 πράξη του και που αντίτυπο του σε φωτοσμίκρυνση δημοσιεύεται με το παρόν διάταγμα.

 

pd.14.2.12



Copyright © 2020 TechnoLogismiki. Με την επιφύλαξη παντός δικαιώματος.