| Συνδεθείτε στην Υπηρεσία Νομοσκόπιο | | | | | Νέοι χρήστες | | Εάν είστε νέος χρήστης, θα πρέπει να δημιουργήσετε ένα ΔΩΡΕΑΝ λογαριασμό προκειμένου να φύγει το παράθυρο αυτό και να αποκτήσετε πλήρη πρόσβαση στην υπηρεσία Νομοσκόπιο. | | Δημιουργία νέου λογαριασμού | | |
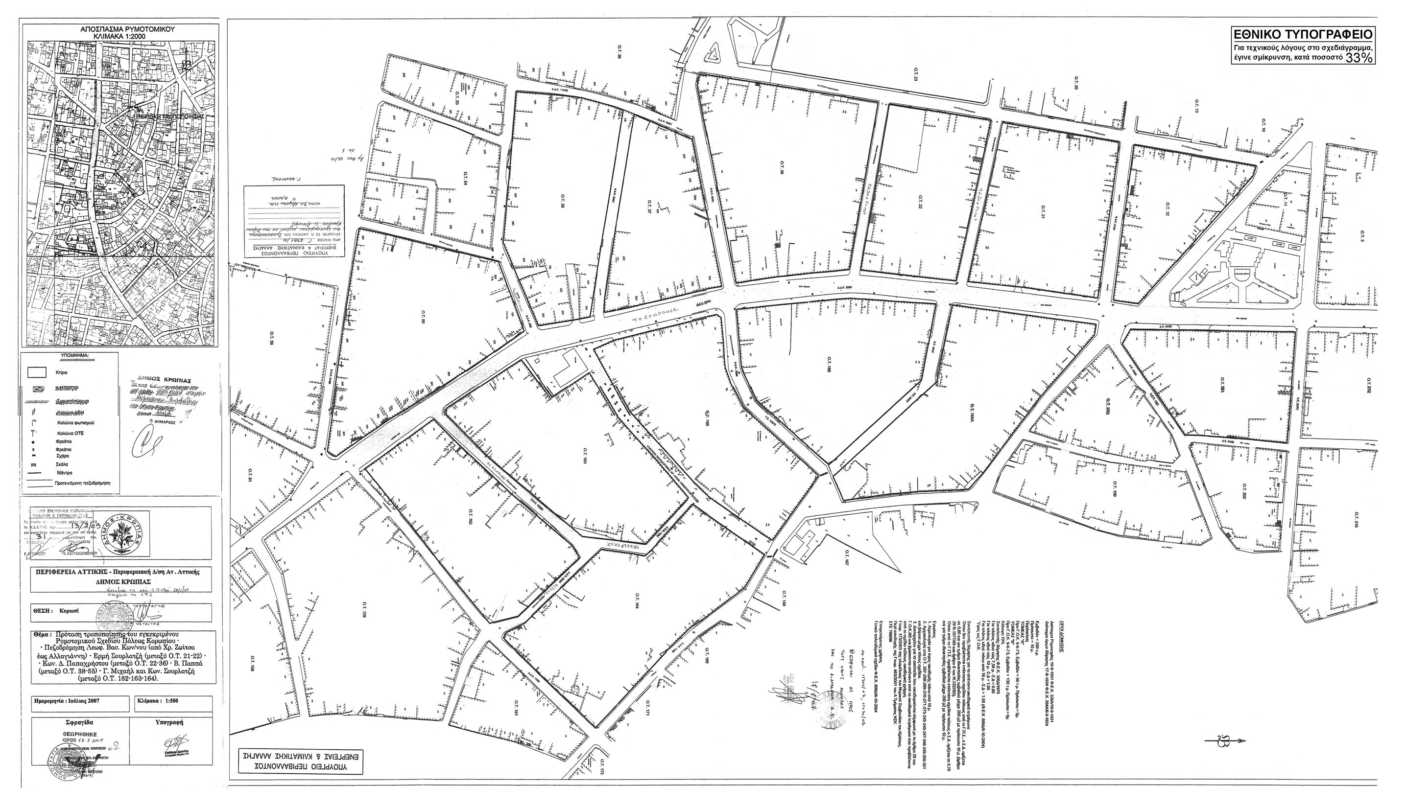
Εγκρίνεται η τροποποίηση του εγκεκριμένου ρυμοτομικού σχεδίου του Δήμου Κρωπίας (νομός Αττικής) με το χαρακτηρισμό τμημάτων οδών ως πεζοδρόμων και ειδικότερα στα τμήματα:
α) της Λεωφόρου Βασιλέως Κωνσταντίνου από τη διασταύρωσή της με τις οδούς Αλαγιάννη και Δ. Παπανικολάου μέχρι και τη διασταύρωσή της με την οδό Χρήστου Ζωίτσα
β) της οδού Σουρλατζή από τη Λεωφόρο Βασιλέως Κωνσταντίνου μέχρι την οδό Ευάγγελου. Καβασαλιώτου,
γ) της οδού Κ. Παπαχρήστου από τη Λεωφόρο Βασιλέως Κωνσταντίνου μέχρι την οδό Ευάγγελου Καβασαλιώτου,
δ) της οδού Β. Παππά από τη Λεωφόρο Βασιλέως Κωνσταντίνου μέχρι την οδό Χ. Δημητρίου και
ε) των οδών Γ. Μιχαήλ και Κ. Σουρλατζή από τη Λεωφόρο Βασιλέως Κωνσταντίνου μέχρι την οδό Δ. Παπανικολάου και εγκεκριμένου πεζοδρόμου,
όπως φαίνεται στο σχετικό πρωτότυπο διάγραμμα σε κλίμακα 1:500, που θεωρήθηκε από τον Προϊστάμενο της Διεύθυνσης Τοπογραφικών Εφαρμογών του Υπουργείου Περιβάλλοντος και Κλιματικής Αλλαγής με την υπ' αριθμόν 6381/2010 πράξη του και που αντίτυπό του σε φωτοσμίκρυνση δημοσιεύεται με το παρόν διάταγμα.
