| Συνδεθείτε στην Υπηρεσία Νομοσκόπιο | | | | | Νέοι χρήστες | | Εάν είστε νέος χρήστης, θα πρέπει να δημιουργήσετε ένα ΔΩΡΕΑΝ λογαριασμό προκειμένου να φύγει το παράθυρο αυτό και να αποκτήσετε πλήρη πρόσβαση στην υπηρεσία Νομοσκόπιο. | | Δημιουργία νέου λογαριασμού | | |
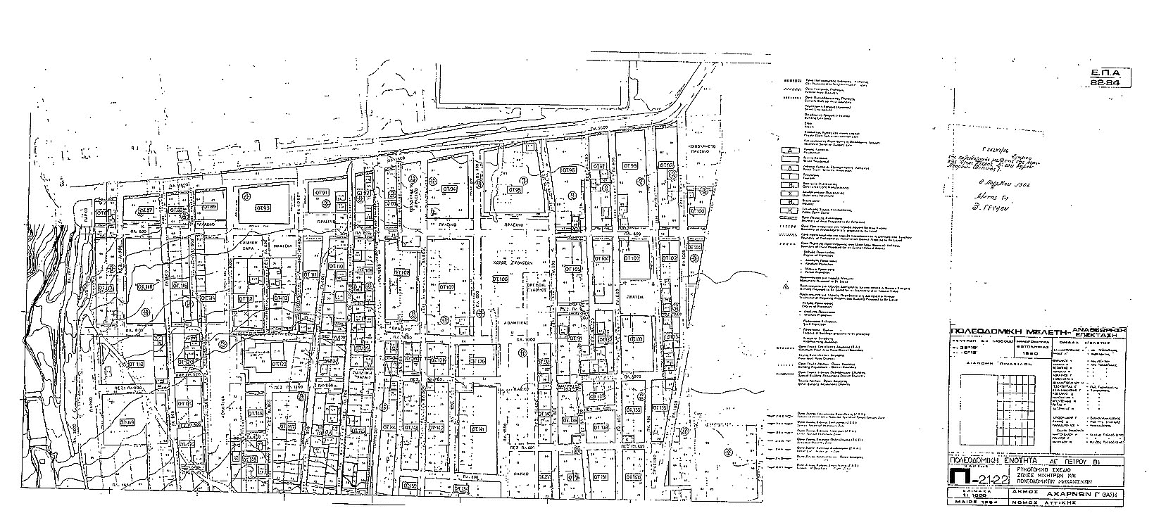
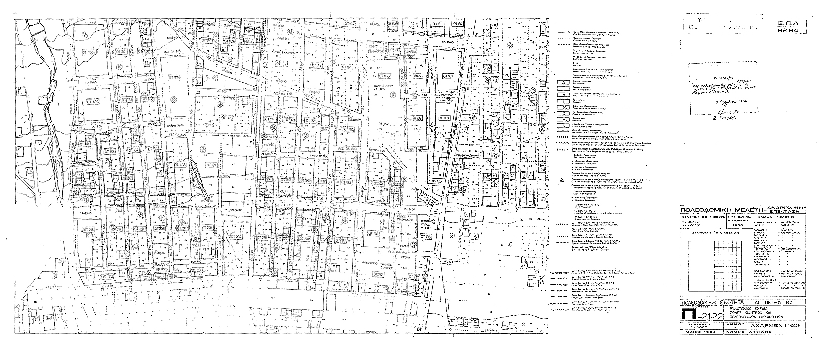
Εγκρίνεται το πολεοδομικό σχέδιο της περιοχής Άγιος Πέτρος Β της πολεοδομικής ενότητας Άγιος Πέτρος του δήμου Αχαρνών που το μεγαλύτερο τμήμα της έχει χαρακτηρισθεί ως πυκνοδομημένο με την υπ' αριθμόν 28947/1017/18-04-1984 απόφαση του Υπουργού Χωροταξίας, Οικισμού και Περιβάλλοντος Χαρακτηρισμός ως πυκνοδομημένης της πολεοδομικής ενότητας Αγίου Πέτρου του δήμου Αχαρνών με τον καθορισμό οικοδομήσιμων χώρων, οδών, πεζοδρόμων, χώρων κοινοχρήστου πρασίνου, χώρων πρασίνου, χώρων σχολείων, χώρων πλατείας, χώρων παιδικής χαράς, χώρου πολιτιστικού κέντρου, χώρου εκκλησίας, χώρου βρεφονηπιακού σταθμού, δημοτικού χώρου, χώρου Κέντρου Ανοικτής Προστασίας Ηλικιωμένων (ΚΑΠΗ), χώρων αθλητισμού, χώρων πάρκου και χώρων στάθμευσης αυτοκινήτων όπως φαίνεται στα 2 χρωματισμένα σχετικά πρωτότυπα διαγράμματα σε κλίμακα 1:1000 που θεωρήθηκαν από τον Προϊστάμενο της Διεύθυνσης Πολεοδομικών Εφαρμογών με την υπ' αριθμόν 28237/1986 πράξη του και που συνοπτικά τους αντίτυπα δημοσιεύονται με το παρόν διάταγμα.

