Προεδρικό διάταγμα 16/5/11b - Άρθρο 1

Άρθρο 1


Συνδεθείτε στην Υπηρεσία Νομοσκόπιο
Είσοδος στην υπηρεσία Νομοσκόπιο.
   
Χρήστης
Κωδικός
  Υπενθύμιση στοιχείων λογαριασμού
   
 
Νέοι χρήστες
Εάν είστε νέος χρήστης, θα πρέπει να δημιουργήσετε ένα ΔΩΡΕΑΝ λογαριασμό προκειμένου να φύγει το παράθυρο αυτό και να αποκτήσετε πλήρη πρόσβαση στην υπηρεσία Νομοσκόπιο.
Δημιουργία νέου λογαριασμού

 

 

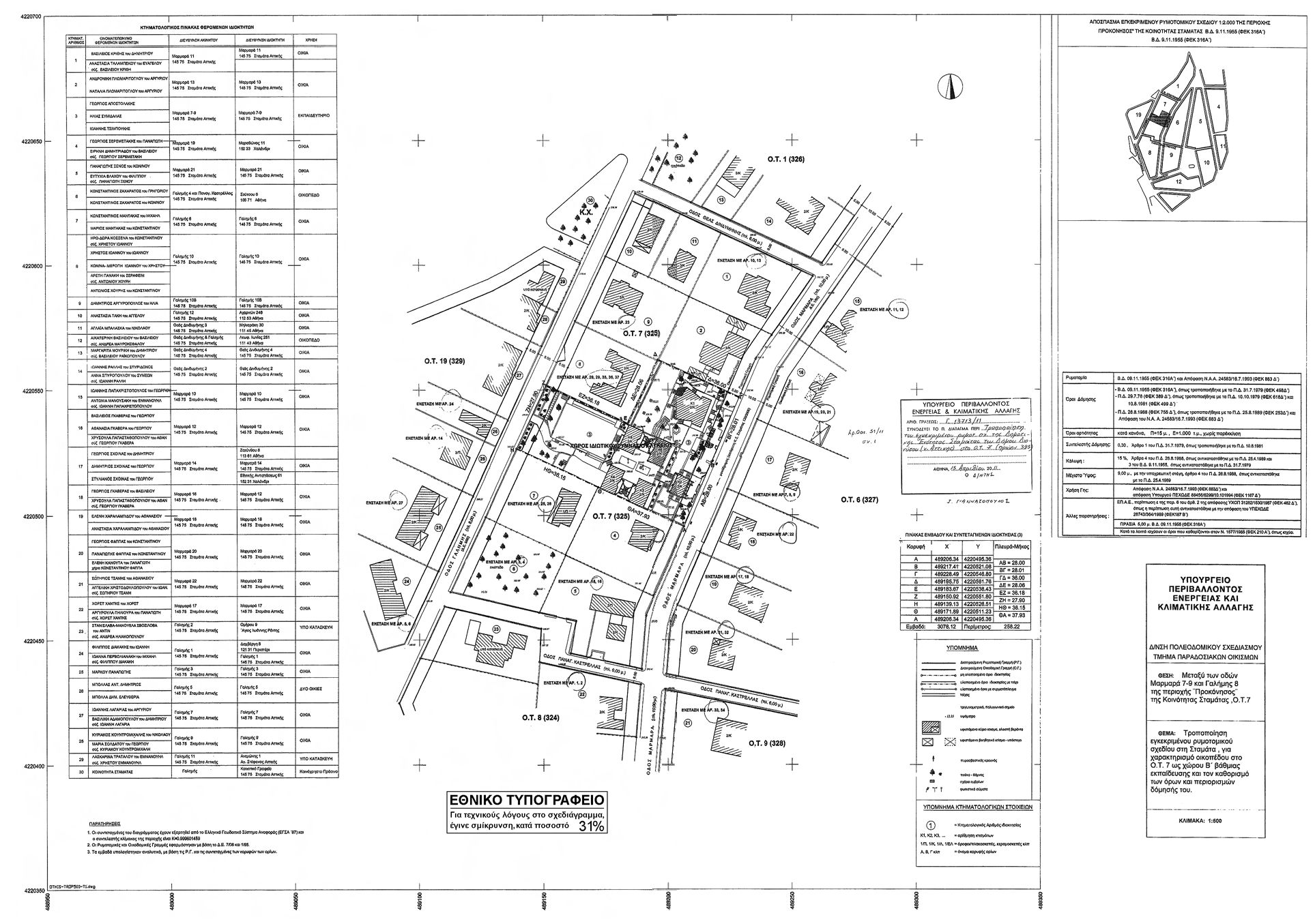
Εγκρίνεται η τροποποίηση του εγκεκριμένου ρυμοτομικού σχεδίου της Δημοτικής Ενότητας Σταμάτας του Δήμου Διονύσου (Νομός Αττικής) στο Οικοδομικό Τετράγωνο 7 (πρώην 325) της πολεοδομικής ενότητας 2 περιοχή Προκόνησου με τον καθορισμό χώρου ιδιωτικού γυμνασίου - λυκείου όπως φαίνεται με στοιχεία Α,Β,Γ,Δ,Ε,Ζ,Η,Θ,Α στο σχετικό πρωτότυπο διάγραμμα σε κλίμακα 1:500 που θεωρήθηκε από τον Προϊστάμενο της Διεύθυνσης Τοπογραφικών Εφαρμογών με την 13713/2011 πράξη του και που αντίτυπο του σε φωτοσμίκρυνση δημοσιεύεται με το παρόν διάταγμα.

 

pd.16.5.11b



Copyright © 2020 TechnoLogismiki. Με την επιφύλαξη παντός δικαιώματος.