Προεδρικό διάταγμα 19/10/11i - Άρθρο 1

Άρθρο 1


Συνδεθείτε στην Υπηρεσία Νομοσκόπιο
Είσοδος στην υπηρεσία Νομοσκόπιο.
   
Χρήστης
Κωδικός
  Υπενθύμιση στοιχείων λογαριασμού
   
 
Νέοι χρήστες
Εάν είστε νέος χρήστης, θα πρέπει να δημιουργήσετε ένα ΔΩΡΕΑΝ λογαριασμό προκειμένου να φύγει το παράθυρο αυτό και να αποκτήσετε πλήρη πρόσβαση στην υπηρεσία Νομοσκόπιο.
Δημιουργία νέου λογαριασμού

 

 

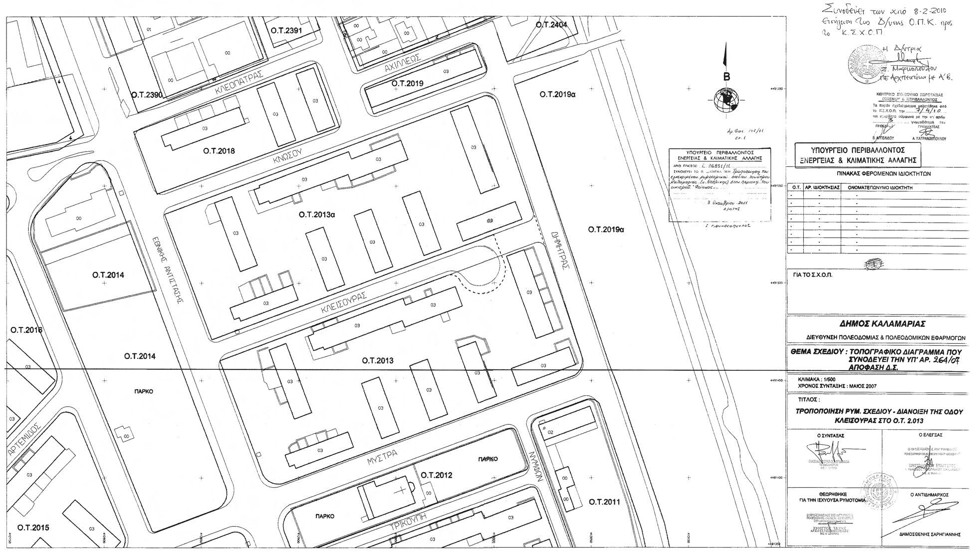
Εγκρίνεται η τροποποίηση του εγκεκριμένου ρυμοτομικού σχεδίου του δήμου Καλαμαριάς (νομού Θεσσαλονίκης) στο Οικοδομικό Τετράγωνο 2013 στην περιοχή του οικισμού Φοίνικας με την έγκριση εντός αυτού οδού (επέκταση οδού Κλεισούρας) και τη δημιουργία δύο νέων οικοδομικών τετραγώνων (Οικοδομικά Τετράγωνα 2013 και 2013Α), όπως φαίνεται στο σχετικό πρωτότυπο διάγραμμα σε κλίμακα 1:500 που θεωρήθηκε από τον Προϊστάμενο της Διεύθυνσης Τοπογραφικών Εφαρμογών με την αριθμόν 36851/2011 πράξη του και που αντίτυπό του σε φωτοσμίκρυνση δημοσιεύεται με το παρόν διάταγμα.

 

pd.19.10.11i



Copyright © 2020 TechnoLogismiki. Με την επιφύλαξη παντός δικαιώματος.