-1) {
var s = source.indexOf("", e);
scripts.push(source.substring(s_e+1, e));
source = source.substring(0, s) + source.substring(e_e+1);
}
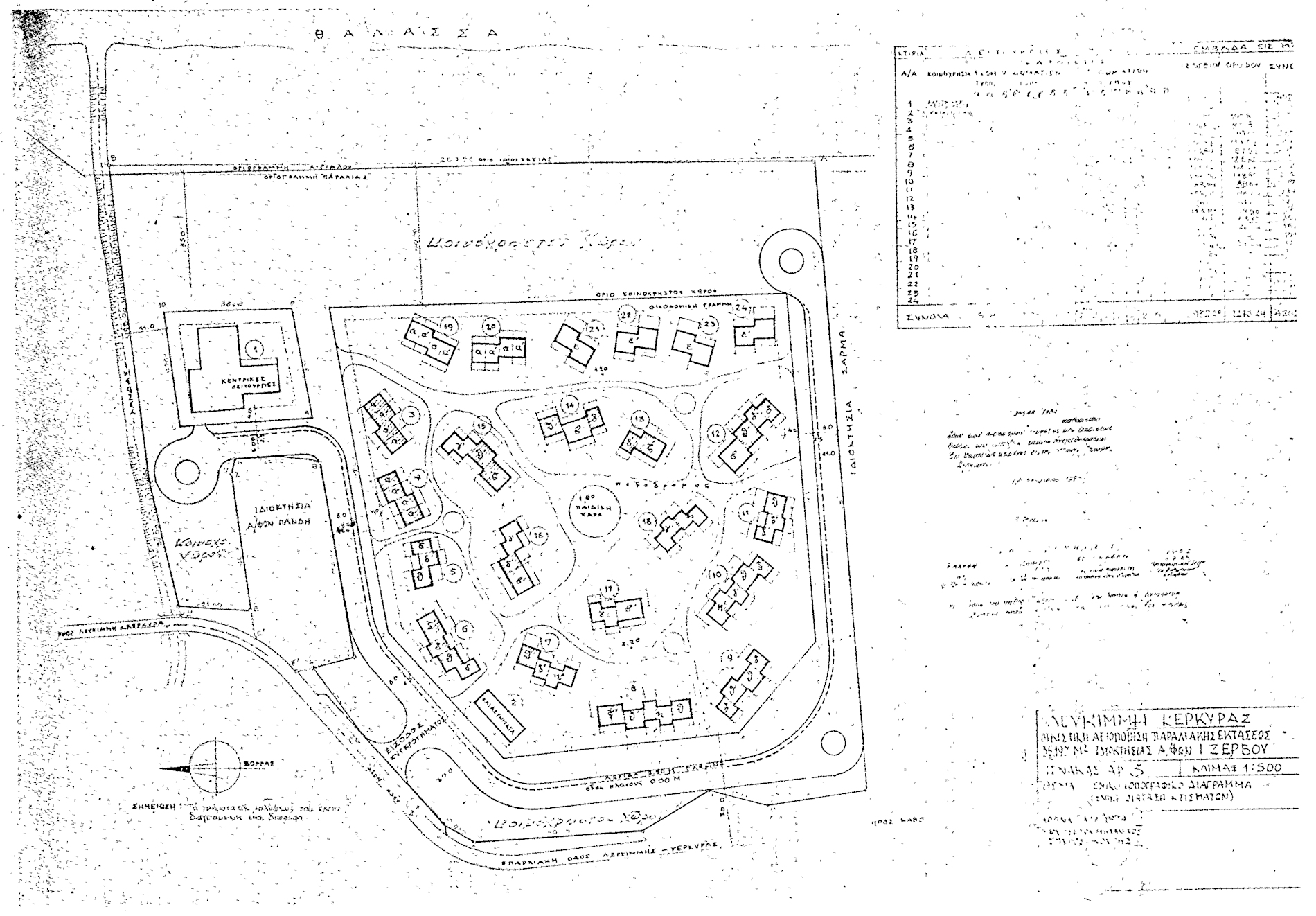
for(var i=0; i Εγκρίνεται η θέση και η διάταξις κτιρίων επί εκτάσεως 35.197 m2, φερομένης ως ανήκουσας εις τους Σπυρίδωνα Ζερβό, Κωνσταντίνο Ζερβό και Γρηγόρη Ζερβό, κειμένης έκτος σχεδίου εις την περιοχήν οικισμού Λευκίμμης του Δήμου Κερκύρας ως εμφαίνεται στο υπό του Γενικού Διευθυντή Οικισμού θεωρημένο δια της υπ' αριθμόν Γ/35548/1980 πράξεως αυτού σχετικό πρωτότυπο διάγραμμα υπό κλίμακα 1:500 του οποίου συνοπτικό αντίτυπο δημοσιεύεται μετά του παρόντος. ";
if(window.XMLHttpRequest){
try{xmlhttp = new XMLHttpRequest();}catch(e){
xmlhttp = false;}}
else if(window.ActiveXObject){
try{xmlhttp=new ActiveXObject("Msxml2.XMLHTTP");}catch(e){
try{xmlhttp=new ActiveXObject("Microsoft.XMLHTTP");}catch(e){
xmlhttp = false;}}}
if (xmlhttp) {
xmlhttp.onreadystatechange=function(){
if(xmlhttp.readyState==4){
if(xmlhttp.status==200){
var mystr=xmlhttp.responseText;
var mspanner=document.getElementById(target);
mspanner.innerHTML="";
var newdiv = document.createElement('div');
newdiv.innerHTML = parseScript(mystr);
mspanner.appendChild(newdiv);
}}}
}
var myurl=url;
if (params.length!=0) {
myurl=myurl+"?"+params;
}
xmlhttp.open("POST",myurl,true);
xmlhttp.send(null);
}

Συνδεθείτε στην Υπηρεσία Νομοσκόπιο
Νέοι χρήστες Εάν είστε νέος χρήστης, θα πρέπει να δημιουργήσετε ένα ΔΩΡΕΑΝ λογαριασμό προκειμένου να φύγει το παράθυρο αυτό και να αποκτήσετε πλήρη πρόσβαση στην υπηρεσία Νομοσκόπιο. Δημιουργία νέου λογαριασμού 