Προεδρικό διάταγμα 19/4/02b - Άρθρο 1

Άρθρο 1


Συνδεθείτε στην Υπηρεσία Νομοσκόπιο
Είσοδος στην υπηρεσία Νομοσκόπιο.
   
Χρήστης
Κωδικός
  Υπενθύμιση στοιχείων λογαριασμού
   
 
Νέοι χρήστες
Εάν είστε νέος χρήστης, θα πρέπει να δημιουργήσετε ένα ΔΩΡΕΑΝ λογαριασμό προκειμένου να φύγει το παράθυρο αυτό και να αποκτήσετε πλήρη πρόσβαση στην υπηρεσία Νομοσκόπιο.
Δημιουργία νέου λογαριασμού

 

 

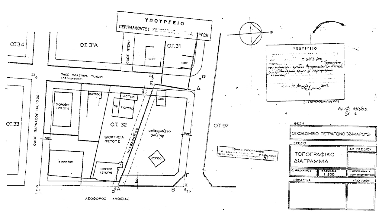
Εγκρίνεται η τροποποίηση του ρυμοτομικού σχεδίου του δήμου Αμαρουσίου (νομού Αττικής) στο 32 οικοδομικό τετράγωνο και στον 32Α κοινόχρηστο χώρο, με την κατάργηση του μεταξύ αυτών πεζοδρόμου, τη μετατροπή αυτού και του παρακείμενου κοινοχρήστου χώρου σε οικοδομήσιμο και την ενοποίησή τους με το 32 οικοδομικό τετράγωνο, όπως φαίνεται στο σχετικό πρωτότυπο διάγραμμα σε κλίμακα 1:500, που θεωρήθηκε από τον Προϊστάμενο της Διεύθυνσης Τοπογραφικών Εφαρμογών με την υπ' αριθμόν 5117/2002 πράξη του και που αντίτυπό του σε φωτοσμίκρυνση δημοσιεύεται με το παρόν διάταγμα.

 

pd.19.4.02b



Copyright © 2020 TechnoLogismiki. Με την επιφύλαξη παντός δικαιώματος.