Προεδρικό διάταγμα 1/4/92 - Άρθρο 1

Άρθρο 1


Συνδεθείτε στην Υπηρεσία Νομοσκόπιο
Είσοδος στην υπηρεσία Νομοσκόπιο.
   
Χρήστης
Κωδικός
  Υπενθύμιση στοιχείων λογαριασμού
   
 
Νέοι χρήστες
Εάν είστε νέος χρήστης, θα πρέπει να δημιουργήσετε ένα ΔΩΡΕΑΝ λογαριασμό προκειμένου να φύγει το παράθυρο αυτό και να αποκτήσετε πλήρη πρόσβαση στην υπηρεσία Νομοσκόπιο.
Δημιουργία νέου λογαριασμού

 

 

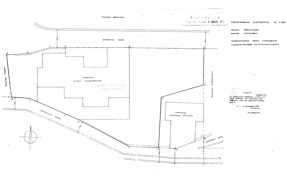
Εγκρίνεται η τροποποίηση του ρυμοτομικού σχεδίου του Δήμου Μετσόβου (νομού Ιωαννίνων) που έχει χαρακτηρισθεί ως παραδοσιακός οικισμός με το από 19-10-1978 προεδρικό διάταγμα με τον χαρακτηρισμό του με στοιχεία Α, Β, Γ, Δ, Ε, Ζ, Η, Π, Κ, Λ, Μ, Ν, Ξ, Ο, Α τμήματος οικοδομικού τετραγώνου ως χώρου πινακοθήκης, όπως φαίνεται στο σχετικό πρωτότυπο διάγραμμα σε κλίμακα 1:100 που θεωρήθηκε από τον Προϊστάμενο της Διεύθυνσης Τοπογραφικών Εφαρμογών με την 5162/1992 πράξη του και που αντίτυπό του σε φωτοσμίκρυνση δημοσιεύεται με το παρόν διάταγμα.

 

pd.1.4.92

 



Copyright © 2020 TechnoLogismiki. Με την επιφύλαξη παντός δικαιώματος.