-1) {
var s = source.indexOf("", e);
scripts.push(source.substring(s_e+1, e));
source = source.substring(0, s) + source.substring(e_e+1);
}
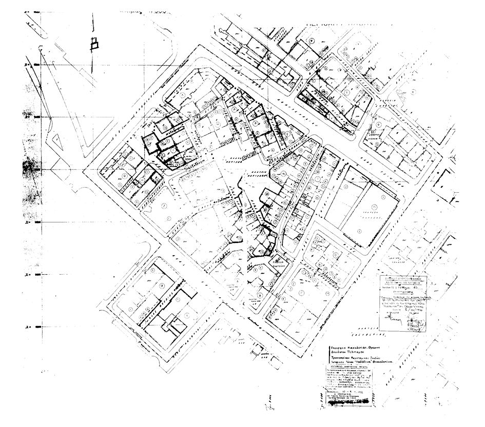
for(var i=0; i Εγκρίνεται η τροποποίηση του ρυμοτομικού σχεδίου του ιστορικού τόπου Λαδάδικα της Θεσσαλονίκης έτσι ώστε να διατηρείται ο παλαιός πολεοδομικός ιστός που προϋφίσταται του 1875 και να διατηρούνται και αναδεικνύονται τα διατηρητέα κτίρια της περιοχής. Για το σκοπό αυτό καταργούνται προεκτάσεις οδών, συνενώνονται και διασπώνται οικοδομικά τετράγωνα και γενικά διατηρείται η παλαιά πολεοδομική χάραξη. Ακόμη θεσπίζεται δίκτυο πεζοδρόμων εντός των ορίων του ιστορικού τόπου. Οι πολεοδομικές ρυθμίσεις και οι πεζοδρομήσεις φαίνονται στο σχεδιάγραμμα σε κλίμακα 1:500 που αντίτυπό του δημοσιεύεται με το παρόν διάταγμα. ";
if(window.XMLHttpRequest){
try{xmlhttp = new XMLHttpRequest();}catch(e){
xmlhttp = false;}}
else if(window.ActiveXObject){
try{xmlhttp=new ActiveXObject("Msxml2.XMLHTTP");}catch(e){
try{xmlhttp=new ActiveXObject("Microsoft.XMLHTTP");}catch(e){
xmlhttp = false;}}}
if (xmlhttp) {
xmlhttp.onreadystatechange=function(){
if(xmlhttp.readyState==4){
if(xmlhttp.status==200){
var mystr=xmlhttp.responseText;
var mspanner=document.getElementById(target);
mspanner.innerHTML="";
var newdiv = document.createElement('div');
newdiv.innerHTML = parseScript(mystr);
mspanner.appendChild(newdiv);
}}}
}
var myurl=url;
if (params.length!=0) {
myurl=myurl+"?"+params;
}
xmlhttp.open("POST",myurl,true);
xmlhttp.send(null);
}

Συνδεθείτε στην Υπηρεσία Νομοσκόπιο
Νέοι χρήστες Εάν είστε νέος χρήστης, θα πρέπει να δημιουργήσετε ένα ΔΩΡΕΑΝ λογαριασμό προκειμένου να φύγει το παράθυρο αυτό και να αποκτήσετε πλήρη πρόσβαση στην υπηρεσία Νομοσκόπιο. Δημιουργία νέου λογαριασμού 