| Συνδεθείτε στην Υπηρεσία Νομοσκόπιο | | | | | Νέοι χρήστες | | Εάν είστε νέος χρήστης, θα πρέπει να δημιουργήσετε ένα ΔΩΡΕΑΝ λογαριασμό προκειμένου να φύγει το παράθυρο αυτό και να αποκτήσετε πλήρη πρόσβαση στην υπηρεσία Νομοσκόπιο. | | Δημιουργία νέου λογαριασμού | | |
Προεδρικό Διάταγμα 24-10-1980: Περί τροποποιήσεως ενίων όρων και περιορισμών δομήσεως οικοπέδων τινών του ρυμοτομικού σχεδίου Θεσσαλονίκης, (ΦΕΚ 14/Δ/1981), 19-01-1981.
Ο Πρόεδρος της Ελληνικής Δημοκρατίας
Έχοντας υπόψη:
1. Τις διατάξεις του από 17-07-1923 νομοθετικού διατάγματος περί σχεδίων πόλεων κ.λ.π., ως μεταγενεστέρως τροποποιήθηκαν και συμπληρώθηκαν και ειδικότερα του άρθρου 6 αυτού.
2. Τις διατάξεις του νομοθετικού διατάγματος 8/1973 περί Γενικού Οικοδομικού Κανονισμού και ειδικότερα του άρθρου 73 (παράγραφος 3) αυτού.
3. Τις διατάξεις του νόμου 1032/1980 περί συστάσεως Υπουργείου Χωροταξίας, Οικισμού και Περιβάλλοντος (ΦΕΚ 57/Α/1980) και ειδικότερα των άρθρων 2, 3 και 7 αυτού.
4. Την υπ' αριθμόν 1209/1979 γνωμοδότηση του Συμβουλίου Δημοσίων Έργων (Τμήμα Οικισμού).
5. Την υπ' αριθμόν 861/1980 γνωμοδότηση του Συμβουλίου της Επικρατείας, με πρόταση του Υπουργού Χωροταξίας, Οικισμού και Περιβάλλοντος, αποφασίσαμε:
Άρθρο Μόνο
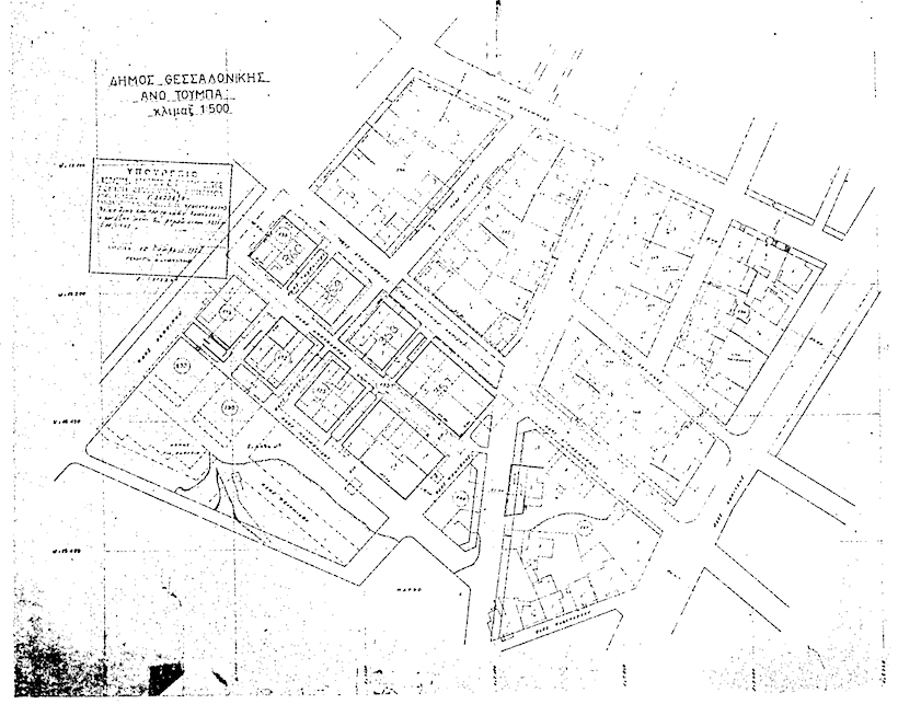
Οικόπεδα του ρυμοτομικού σχεδίου Θεσσαλονίκης εις την περιοχήν Άνω Τούμπας, παραχωρηθέντα υπό του Υπουργείου Κοινωνικής Πρόνοιας, κείμενα εντός των οικοδομικών τετραγώνων των περικλειόμενων υπό των οδών Καβείρων, Αγαμέμνονος, Πεντέλης και Απολλοδώρου, ως εμφαίνονται εις το υπό του Γενικού Διευθυντού Οικισμού θεωρημένο δια της υπ' αριθμού 26234/1980 πράξεως αυτού σχετικό πρωτότυπο διάγραμμα υπό κλίμακα 1:500, θεωρούνται άρτια και οικοδομήσιμα εφ' όσον κατά την ημέραν δημοσιεύσεως του από 25-06-1970 βασιλικού διατάγματος περί τροποποιήσεως και επεκτάσεως του ρυμοτομικού σχεδίου Θεσσαλονίκης και καθορισμού των όρων και περιορισμών δομήσεως των οικοπέδων αυτού (ΦΕΚ 171/Δ/1970), δι' ου διαπλατύνθηκαν οι οδοί Αγαμέμνονος και Απολλοδώρου, το απομένον οικόπεδον μετά την ρυμοτομία έχει εμβαδόν ουχί κάτω των 3/4 του εν τη περιοχή ισχύοντος.

Εις τον Υπουργό Χωροταξίας, Οικισμού και Περιβάλλοντος, αναθέτουμε την δημοσίευση και εκτέλεσιν του παρόντος Διατάγματος.
Εν Αθήναις τη 24-10-1980.
Ο Πρόεδρος της Δημοκρατίας