Προεδρικό διάταγμα 25/5/89 - Άρθρο 1

Άρθρο 1


Συνδεθείτε στην Υπηρεσία Νομοσκόπιο
Είσοδος στην υπηρεσία Νομοσκόπιο.
   
Χρήστης
Κωδικός
  Υπενθύμιση στοιχείων λογαριασμού
   
 
Νέοι χρήστες
Εάν είστε νέος χρήστης, θα πρέπει να δημιουργήσετε ένα ΔΩΡΕΑΝ λογαριασμό προκειμένου να φύγει το παράθυρο αυτό και να αποκτήσετε πλήρη πρόσβαση στην υπηρεσία Νομοσκόπιο.
Δημιουργία νέου λογαριασμού

 

 

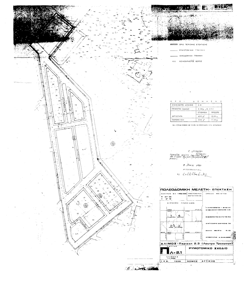
Εγκρίνεται το πολεοδομικό σχέδιο της περιοχής Λουτρό του δήμου Αλίμου (νομού Αττικής) με τον καθορισμό οικοδομήσιμων χώρων, οδών πεζοδρόμων, κοινοχρήστων χώρων, χώρου δημοτικού σχολείου, όπως και οι ρυθμίσεις αυτές φαίνονται στο σχετικό 1 χρωματισμένο πρωτότυπο διάγραμμα σε κλίμακα 1:1000 που θεωρήθηκε από τον Προϊστάμενο της Διεύθυνσης της Τοπογραφικών Εφαρμογών με την υπ' αριθμόν 37728/1989 πράξη του και που συνοπτικό του αντίτυπο δημοσιεύεται με το παρόν διάταγμα.

pd.25.5.89

 



Copyright © 2020 TechnoLogismiki. Με την επιφύλαξη παντός δικαιώματος.