Προεδρικό διάταγμα 29/5/07b - Άρθρο 1

Άρθρο 1


Συνδεθείτε στην Υπηρεσία Νομοσκόπιο
Είσοδος στην υπηρεσία Νομοσκόπιο.
   
Χρήστης
Κωδικός
  Υπενθύμιση στοιχείων λογαριασμού
   
 
Νέοι χρήστες
Εάν είστε νέος χρήστης, θα πρέπει να δημιουργήσετε ένα ΔΩΡΕΑΝ λογαριασμό προκειμένου να φύγει το παράθυρο αυτό και να αποκτήσετε πλήρη πρόσβαση στην υπηρεσία Νομοσκόπιο.
Δημιουργία νέου λογαριασμού

 

 

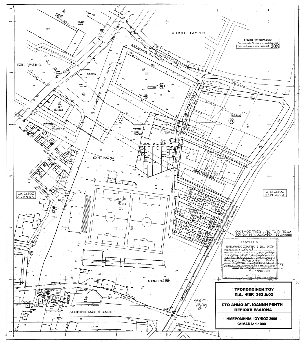
Εγκρίνεται η τροποποίηση του εγκεκριμένου ρυμοτομικού σχεδίου των δήμων Αγίου Ιωάννη Ρέντη και Ταύρου στην πολεοδομική ενότητα του Ελαιώνα (νομού Αττικής), [20-08-1985 (ΦΕΚ 459/Δ/1985) και 20-09-1995 (ΦΕΚ 1049/Δ/1995) προεδρικά διατάγματα, όπως αυτό τροποποιήθηκε με τα από 21-06-1996 (ΦΕΚ 742/Δ/1996), 05-04-2000 (ΦΕΚ 208/Δ/2000) και 11-04-2002 (ΦΕΚ 363/Δ/2002) προεδρικά διατάγματα, η οποία έχει χαρακτηρισθεί ως Ζώνη Ελεγχόμενης Ανάπτυξης με το από 18-12-1990 προεδρικό διάταγμα (ΦΕΚ 709/Δ/1990) και ειδικότερα στο χώρο Αθλητικών Εγκαταστάσεων - Ολυμπιακών Αγώνων με την έγκριση εντός αυτού οδών και τον καθορισμό οικοδομήσιμων χώρων και χώρων κοινοχρήστου πρασίνου, όπως φαίνεται στο σχετικό πρωτότυπο διάγραμμα σε κλίμακα 1:1000, που θεωρήθηκε από τον Προϊστάμενο της Διεύθυνσης Τοπογραφικών Εφαρμογών με την υπ' αριθμόν 6951/2007 πράξη του και που αντίτυπο του σε φωτοσμίκρυνση δημοσιεύεται με το παρόν διάταγμα.

 

pd.29.5.07b



Copyright © 2020 TechnoLogismiki. Με την επιφύλαξη παντός δικαιώματος.