Προεδρικό διάταγμα 29/5/09 - Άρθρο 1

Άρθρο 1


Συνδεθείτε στην Υπηρεσία Νομοσκόπιο
Είσοδος στην υπηρεσία Νομοσκόπιο.
   
Χρήστης
Κωδικός
  Υπενθύμιση στοιχείων λογαριασμού
   
 
Νέοι χρήστες
Εάν είστε νέος χρήστης, θα πρέπει να δημιουργήσετε ένα ΔΩΡΕΑΝ λογαριασμό προκειμένου να φύγει το παράθυρο αυτό και να αποκτήσετε πλήρη πρόσβαση στην υπηρεσία Νομοσκόπιο.
Δημιουργία νέου λογαριασμού

 

 

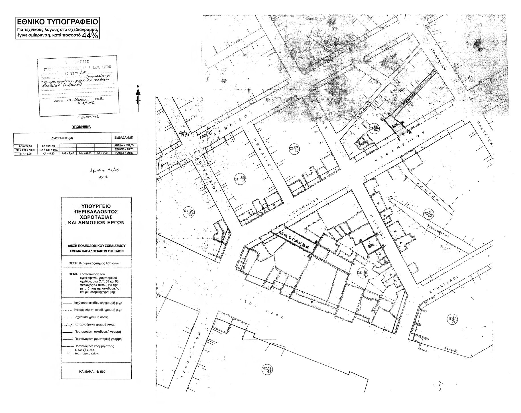
Εγκρίνεται η τροποποίηση του εγκεκριμένου ρυμοτομικού σχεδίου του Δήμου Αθηναίων (Νομός Αττικής) στο τμήμα της πόλης που έχει χαρακτηριστεί ως παραδοσιακό με το από 21-09-1979 προεδρικό διάταγμα (ΦΕΚ 567/Δ/1979) και έχουν καθοριστεί χρήσεις γης και όροι και περιορισμοί δόμησης με το από 23-07-1998 προεδρικό διάταγμα (ΦΕΚ 616/Δ/1998) και ειδικότερα στον Κεραμεικό, στα Οικοδομικά Τετράγωνα 58 και 66 της περιοχής 64 με την κατάργηση τμήματος οδού, τον καθορισμό ρυμοτομικών και οικοδομικών γραμμών, τον καθορισμό κοινόχρηστων χώρων και την έγκριση πεζοδρόμου, όπως φαίνεται στο σχετικό πρωτότυπο διάγραμμα σε κλίμακα 1:500 που θεωρήθηκε από τον Προϊστάμενο της Διεύθυνσης Τοπογραφικών Εφαρμογών με την υπ' αριθμόν 9919/2009 πράξη του και αντίτυπο του σε φωτοσμίκρυνση δημοσιεύεται με το παρόν διάταγμα.

 

pd.29.5.09



Copyright © 2020 TechnoLogismiki. Με την επιφύλαξη παντός δικαιώματος.