Προεδρικό διάταγμα 2/1/09 - Άρθρο 1

Άρθρο 1


Συνδεθείτε στην Υπηρεσία Νομοσκόπιο
Είσοδος στην υπηρεσία Νομοσκόπιο.
   
Χρήστης
Κωδικός
  Υπενθύμιση στοιχείων λογαριασμού
   
 
Νέοι χρήστες
Εάν είστε νέος χρήστης, θα πρέπει να δημιουργήσετε ένα ΔΩΡΕΑΝ λογαριασμό προκειμένου να φύγει το παράθυρο αυτό και να αποκτήσετε πλήρη πρόσβαση στην υπηρεσία Νομοσκόπιο.
Δημιουργία νέου λογαριασμού

 

 

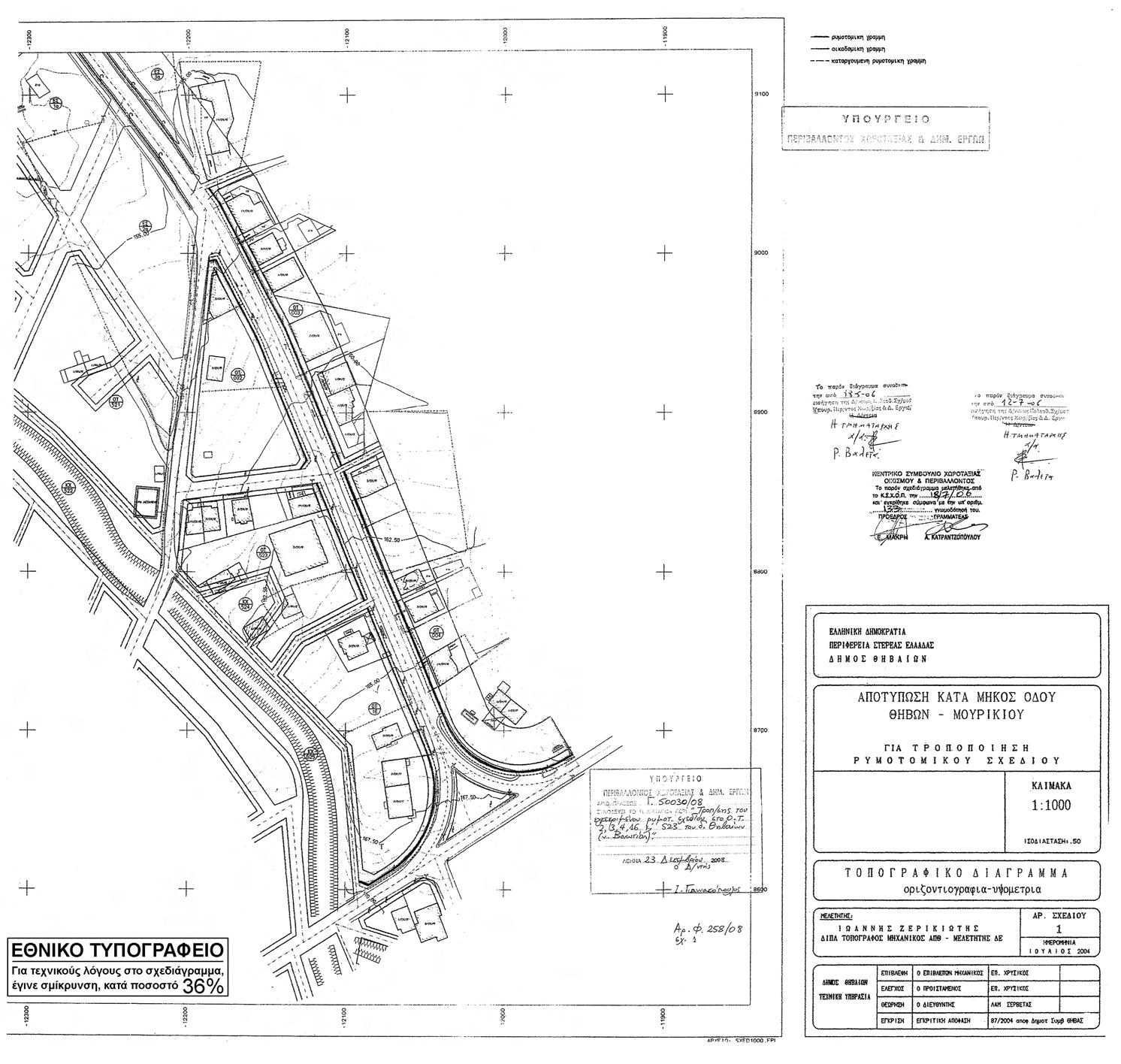
Εγκρίνεται η τροποποίηση του εγκεκριμένου ρυμοτομικού σχεδίου του δήμου Θηβαίων (Νομός Βοιωτίας) που έχει κηρυχθεί ως αρχαιολογικός χώρος με το από [ΒΔ] 12-06-1964 βασιλικό διάταγμα (ΦΕΚ 239/Δ/1964) και ειδικότερα στα Οικοδομικά Τετράγωνα 2, 3, 4, 16 και 523 με τη μετατόπιση των ρυμοτομικών γραμμών, όπως φαίνεται στο σχετικό πρωτότυπο διάγραμμα σε κλίμακα 1:1000, που θεωρήθηκε από τον Προϊστάμενο της Διεύθυνσης Τοπογραφικών Εφαρμογών με την αριθμόν 50030/2008 πράξη του και που αντίτυπό του σε φωτοσμίκρυνση δημοσιεύεται με το παρόν διάταγμα.

 

pd.2.1.09

 



Copyright © 2020 TechnoLogismiki. Με την επιφύλαξη παντός δικαιώματος.