Προεδρικό διάταγμα 3/6/99b - Άρθρο 1

Άρθρο 1


Συνδεθείτε στην Υπηρεσία Νομοσκόπιο
Είσοδος στην υπηρεσία Νομοσκόπιο.
   
Χρήστης
Κωδικός
  Υπενθύμιση στοιχείων λογαριασμού
   
 
Νέοι χρήστες
Εάν είστε νέος χρήστης, θα πρέπει να δημιουργήσετε ένα ΔΩΡΕΑΝ λογαριασμό προκειμένου να φύγει το παράθυρο αυτό και να αποκτήσετε πλήρη πρόσβαση στην υπηρεσία Νομοσκόπιο.
Δημιουργία νέου λογαριασμού

 

 

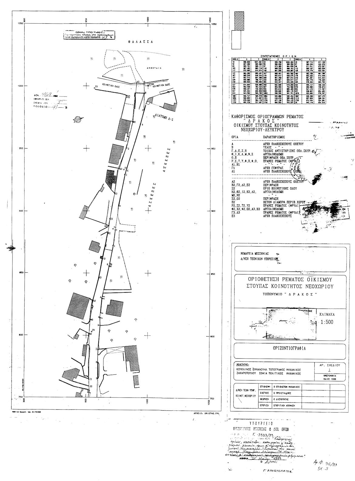
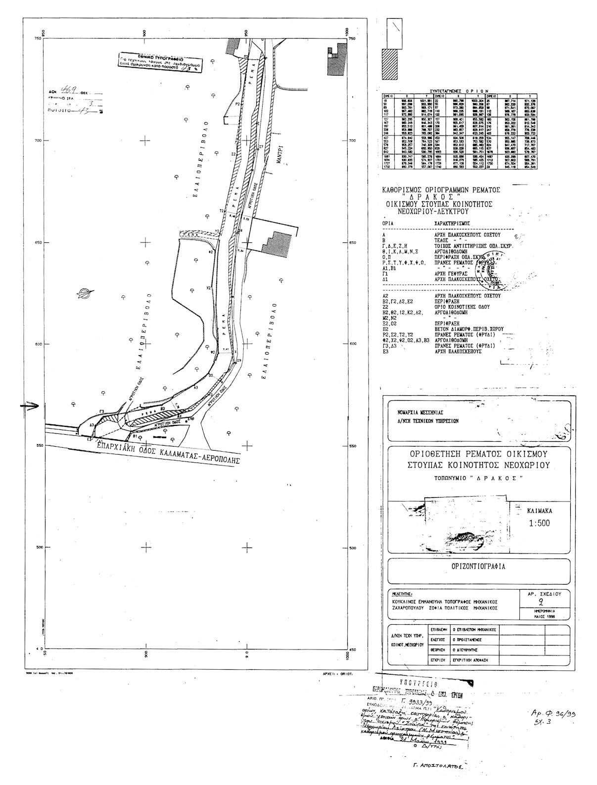
Καθορίζονται οι οριογραμμές του ρέματος Δράκος που βρίσκεται στον οικισμό Στούπας της Κοινότητας Νεοχωρίου Λεύκτρου (νομού Μεσσηνίας) όπως εγκρίθηκαν από την Διεύθυνση Τεχνικών Υπηρεσιών Νομαρχιακής Αυτοδιοίκησης Μεσσηνίας και φαίνονται με πράσινη γραμμή στα σχετικά 2 πρωτότυπα διαγράμματα σε κλίμακα 1:500 που θεωρήθηκαν από τον Προϊστάμενο της Διεύθυνσης Τοπογραφικών Εφαρμογών με την 9913/1999 πράξη του που αντίτυπα τους σε φωτοσμίκρυνση δημοσιεύονται με το παρόν διάταγμα.

 

pd.3.6.99b.1

pd.3.6.99b.2

pd.3.6.99b.3



Copyright © 2020 TechnoLogismiki. Με την επιφύλαξη παντός δικαιώματος.