Προεδρικό διάταγμα 4/11/02 - Άρθρο 1

Άρθρο 1


Συνδεθείτε στην Υπηρεσία Νομοσκόπιο
Είσοδος στην υπηρεσία Νομοσκόπιο.
   
Χρήστης
Κωδικός
  Υπενθύμιση στοιχείων λογαριασμού
   
 
Νέοι χρήστες
Εάν είστε νέος χρήστης, θα πρέπει να δημιουργήσετε ένα ΔΩΡΕΑΝ λογαριασμό προκειμένου να φύγει το παράθυρο αυτό και να αποκτήσετε πλήρη πρόσβαση στην υπηρεσία Νομοσκόπιο.
Δημιουργία νέου λογαριασμού

 

 

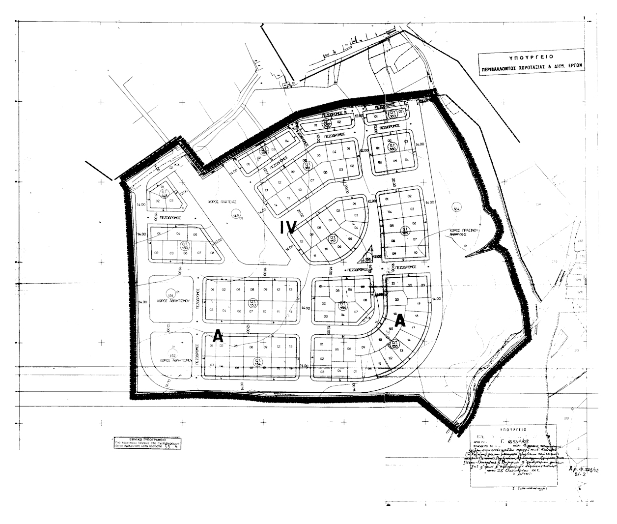
Εγκρίνεται τοπικό ρυμοτομικό σχέδιο στην εκτός σχεδίου περιοχή του δήμου Νεάπολης (νομού Κοζάνης) για την μετεγκατάσταση των οικισμών Πολύλακκου, Τραπεζίτσας, Πανάρετης, Κλήματος, Αξιοκάστρου, Πεπονιάς, Τραπεζίτσας - Πανάρετης και Πυλωρών σε θέση που καθορίστηκε με την 100895/10532/1996 κοινή υπουργική απόφαση με τον καθορισμό οικοδομικών τετραγώνων, οδών, πεζοδρόμων, κοινόχρηστων χώρων, χώρων πρασίνου, πλατείας, αθλητισμού, στάθμευσης, πρασίνου - αναψυκτηρίου, χώρου πρασίνου - αναψυχής, πλατείας - κοινόχρηστου χώρου πάρκου, διοίκησης - πνευματικού κέντρου, εκπαίδευσης (δημοτικό σχολείο - νηπιαγωγείο), αθλητικών εγκαταστάσεων, εκκλησίας, κεντρικής πλατείας, πλατείας - πεζοδρόμου όπως φαίνεται στα 2 σχετικά πρωτότυπα διαγράμματα σε κλίμακα 1:1000, που θεωρήθηκαν από τον Προϊστάμενο της Διεύθυνσης Τοπογραφικών Εφαρμογών με την 16334/2002 πράξη του και που αντίτυπά τους σε φωτοσμίκρυνση δημοσιεύονται με το παρόν διάταγμα.

 

pd.4.11.02.1

pd.4.11.02.2



Copyright © 2020 TechnoLogismiki. Με την επιφύλαξη παντός δικαιώματος.