Προεδρικό διάταγμα 4/6/03b - Άρθρο 1

Άρθρο 1


Συνδεθείτε στην Υπηρεσία Νομοσκόπιο
Είσοδος στην υπηρεσία Νομοσκόπιο.
   
Χρήστης
Κωδικός
  Υπενθύμιση στοιχείων λογαριασμού
   
 
Νέοι χρήστες
Εάν είστε νέος χρήστης, θα πρέπει να δημιουργήσετε ένα ΔΩΡΕΑΝ λογαριασμό προκειμένου να φύγει το παράθυρο αυτό και να αποκτήσετε πλήρη πρόσβαση στην υπηρεσία Νομοσκόπιο.
Δημιουργία νέου λογαριασμού

 

 

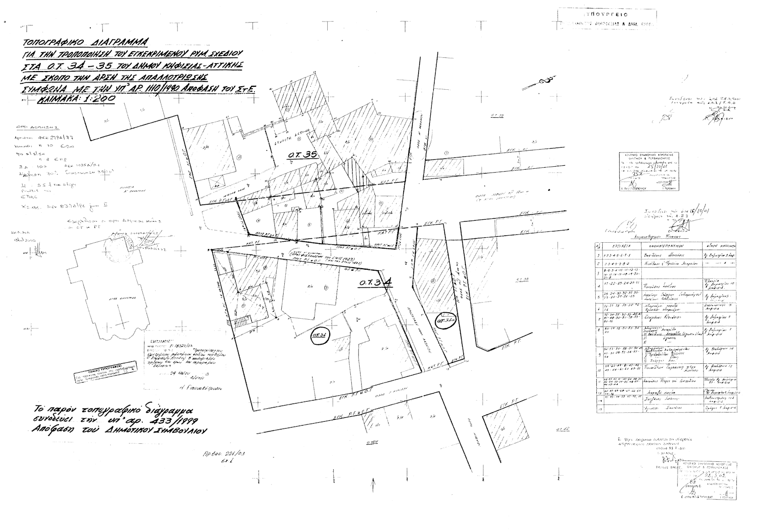
Εγκρίνεται η τροποποίηση του εγκεκριμένου ρυμοτομικού σχεδίου του δήμου Κηφισιάς (νομού Αττικής) και ειδικότερα στα οικοδομικά τετράγωνα 34 και 35 που εμπίπτουν στο τμήμα της πόλης που έχει χαρακτηρισθεί ως παραδοσιακό με τα από 12-02-1982 (ΦΕΚ 180/Δ/1982) και 20-10-1983 (ΦΕΚ 694/Δ/1983) προεδρικά διατάγματα, με τη μετατόπιση των ρυμοτομικών και οικοδομικών γραμμών, την κατάργηση τμήματος οδού, την έγκριση οδών και τη δημιουργία νέων οικοδομικών τετραγώνων, όπως οι ρυθμίσεις αυτές φαίνονται στο σχετικό πρωτότυπο διάγραμμα σε κλίμακα 1:500, που θεωρήθηκε από τον Προϊστάμενο της Διεύθυνσης Τοπογραφικών Εφαρμογών με την 18327/2003 πράξη του και που αντίτυπό του σε φωτοσμίκρυνση δημοσιεύεται με το παρόν διάταγμα.

 

pd.4.6.03b



Copyright © 2020 TechnoLogismiki. Με την επιφύλαξη παντός δικαιώματος.