Προεδρικό διάταγμα 6/8/10c - Άρθρο 1

Άρθρο 1


Συνδεθείτε στην Υπηρεσία Νομοσκόπιο
Είσοδος στην υπηρεσία Νομοσκόπιο.
   
Χρήστης
Κωδικός
  Υπενθύμιση στοιχείων λογαριασμού
   
 
Νέοι χρήστες
Εάν είστε νέος χρήστης, θα πρέπει να δημιουργήσετε ένα ΔΩΡΕΑΝ λογαριασμό προκειμένου να φύγει το παράθυρο αυτό και να αποκτήσετε πλήρη πρόσβαση στην υπηρεσία Νομοσκόπιο.
Δημιουργία νέου λογαριασμού

 

 

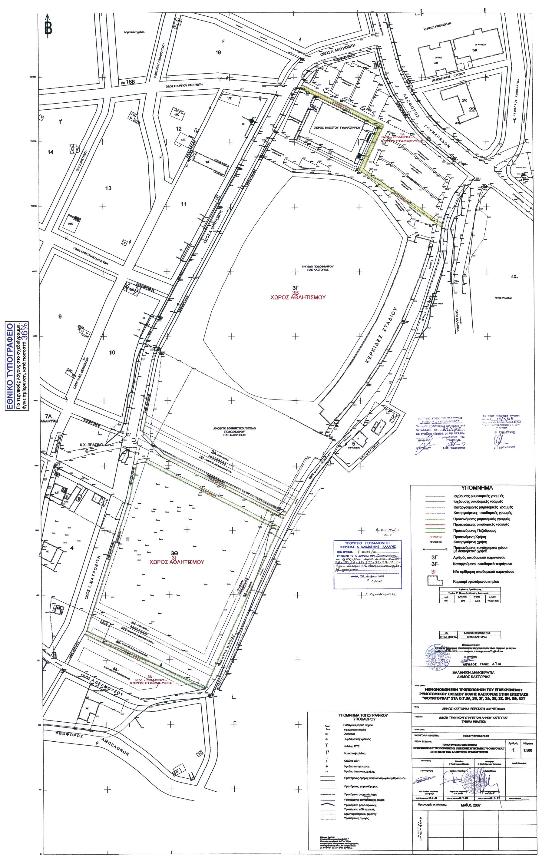
Εγκρίνεται η τροποποίηση του εγκεκριμένου ρυμοτομικού σχεδίου του Δήμου Καστοριάς (Νομού Καστοριάς) στην πολεοδομική ενότητα Ε περιοχή Φουντουκλί και ειδικότερα στο τμήμα αυτής που περικλείεται από τη Λεωφόρο Γουναράδων και τις οδούς Μινωίδη, Α. Δελμούζου και Λ. Μαυροβίτη με την μετατόπιση και κατάργηση οικοδομικών ρυμοτομικών γραμμών, κατάργηση οδού και πεζοδρόμων και έγκριση νέων, τον καθορισμό χώρων αθλητισμού (3Β και 3Γ) και κοινοχρήστων χώρων - πρασίνου - χώρων στάθμευσης αυτοκινήτων (3Α και 3Δ) όπως οι παραπάνω ρυθμίσεις φαίνονται στο σχετικό πρωτότυπο διάγραμμα σε κλίμακα 1:500 που θεωρήθηκε από τον Προϊστάμενο της Διεύθυνσης Τοπογραφικών Εφαρμογών με την υπ' αριθμόν 26159/2010 πράξη του και που αντίτυπο του σε φωτοσμίκρυνση δημοσιεύεται με το παρόν διάταγμα.

 

pd.6.8.10c



Copyright © 2020 TechnoLogismiki. Με την επιφύλαξη παντός δικαιώματος.