Προεδρικό διάταγμα 9/11/06 - Άρθρο 1

Άρθρο 1


Συνδεθείτε στην Υπηρεσία Νομοσκόπιο
Είσοδος στην υπηρεσία Νομοσκόπιο.
   
Χρήστης
Κωδικός
  Υπενθύμιση στοιχείων λογαριασμού
   
 
Νέοι χρήστες
Εάν είστε νέος χρήστης, θα πρέπει να δημιουργήσετε ένα ΔΩΡΕΑΝ λογαριασμό προκειμένου να φύγει το παράθυρο αυτό και να αποκτήσετε πλήρη πρόσβαση στην υπηρεσία Νομοσκόπιο.
Δημιουργία νέου λογαριασμού

 

 

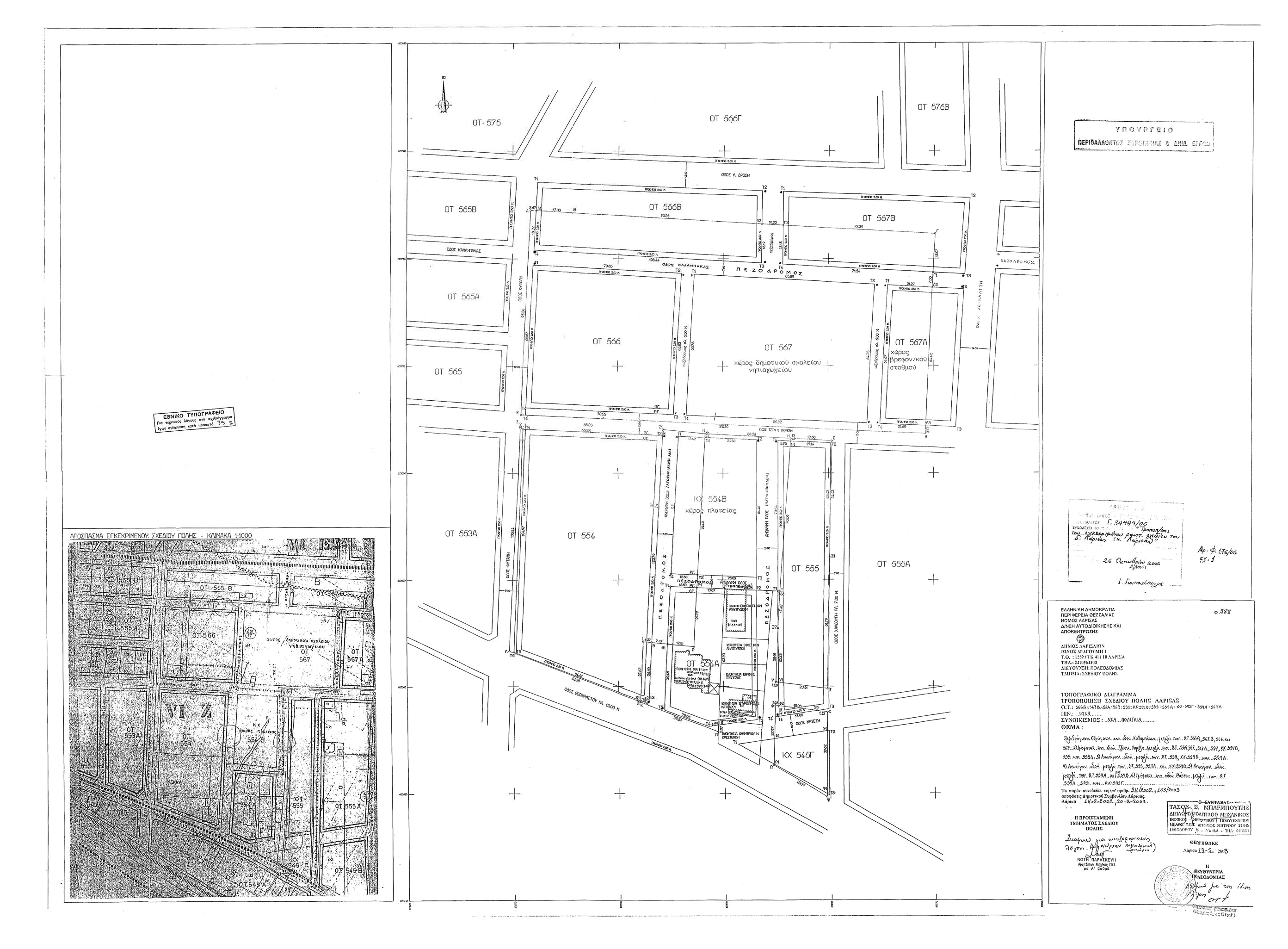
Εγκρίνεται η τροποποίηση του εγκεκριμένου ρυμοτομικού σχεδίου στην περιοχή Νέα Πολιτεία του Δήμου Λάρισας (νομού Λάρισας) η οποία έχει χαρακτηριστεί ως αρχαιολογικός χώρος με την υπ' αριθμ. ΥΠΠΟ/ΓΔΑ/ΑΡΧ./Α1/Φ.43/187/42/1272/2002 απόφαση του Υπουργού Πολιτισμού (ΦΕΚ 687/Β/2002), η οποία συνίσταται στον χαρακτηρισμό οδών ως πεζοδρόμων και ειδικότερα:

 

της οδού Αγορογιάννη από την οδό Θεοφράστου έως την οδό Τζένης Καρέζη (μεταξύ των οικοδομικών τετραγώνων 554 και 554Α, 554 και Κοινόχρηστο Χώρο 554Β),
της οδού Ματθοπούλου από την οδό Μάτεση έως την οδό Τζένης Καρέζη (μεταξύ των Κοινόχρηστο Χώρο 554Β και οικοδομικών τετραγώνων 555, 554Α και 555),
της οδού Τεμπέλα μεταξύ των οικοδομικών τετραγώνων 554Α και Κοινόχρηστο Χώρο 554Β,
τμήματος της οδού Καλαμπάκας από την οδό Φύταλη έως την οδό Λειβαδίτη (μεταξύ των οικοδομικών τετραγώνων 566Β - 567Β και οικοδομικό τετράγωνο 566 - χώρου δημοτικού σχολείου - νηπιαγωγείου - βρεφονηπιακού σταθμού),

 

όπως οι ρυθμίσεις φαίνονται στο σχετικό πρωτότυπο διάγραμμα σε κλίμακα 1:500 που θεωρήθηκε από τον Προϊστάμενο της Διεύθυνσης Τοπογραφικών Εφαρμογών με την 34444/2006 πράξη του και που αντίτυπό του σε φωτοσμίκρυνση δημοσιεύεται με το παρόν διάταγμα.

 

pd.9.11.06



Copyright © 2020 TechnoLogismiki. Με την επιφύλαξη παντός δικαιώματος.