Προεδρικό διάταγμα 9/4/12 - Άρθρο 1

Άρθρο 1


Συνδεθείτε στην Υπηρεσία Νομοσκόπιο
Είσοδος στην υπηρεσία Νομοσκόπιο.
   
Χρήστης
Κωδικός
  Υπενθύμιση στοιχείων λογαριασμού
   
 
Νέοι χρήστες
Εάν είστε νέος χρήστης, θα πρέπει να δημιουργήσετε ένα ΔΩΡΕΑΝ λογαριασμό προκειμένου να φύγει το παράθυρο αυτό και να αποκτήσετε πλήρη πρόσβαση στην υπηρεσία Νομοσκόπιο.
Δημιουργία νέου λογαριασμού

 

 

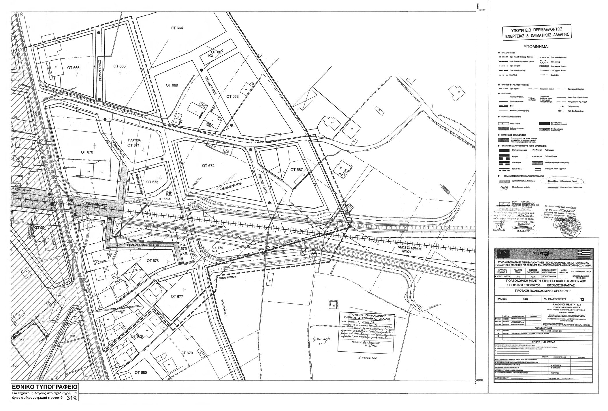
Εγκρίνεται:

 

α. η τροποποίηση του εγκεκριμένου ρυμοτομικού σχεδίου στα Ο.Τ. 665, 666, 670, 671, 672, 673, 674, 675, 676, 677 και 687 της περιοχής Νικολάου Πλαστήρα της Δημοτικής Ενότητας Αιγίου του Δήμου Αιγιαλείας (νομού Αχαΐας) με την μετατόπιση ρυμοτομικών και οικοδομικών γραμμών, την κατάργηση οδών και πεζοδρόμων, την έγκριση πεζοδρόμων, τον καθορισμό χώρου Οργανισμού Σιδηροδρόμων Ελλάδος (σε τμήματα των οικοδομικών τετραγώνων 687, 674, 673, 670, 676) και τον καθορισμό κοινόχρηστων χώρων (ΚΧ - ΚΠ) στα οικοδομικά τετράγωνα 675, 674 και 673Α και

 

β. η σημειακή επέκταση αυτού νοτιοανατολικά των οικοδομικών τετραγώνων 674 και 687 και ανατολικά του οικοδομικού τετραγώνου 687,

 

όπως οι ρυθμίσεις αυτές φαίνονται στο σχετικό πρωτότυπο διάγραμμα σε κλίμακα 1:500 που θεωρήθηκε από τον Προϊστάμενο της Διεύθυνσης Τοπογραφικών Εφαρμογών με την υπ' αριθμόν 11602/2012 πράξη του και που αντίτυπο του σε φωτοσμίκρυνση δημοσιεύεται με το παρόν διάταγμα.

 

pd.9.4.12



Copyright © 2020 TechnoLogismiki. Με την επιφύλαξη παντός δικαιώματος.